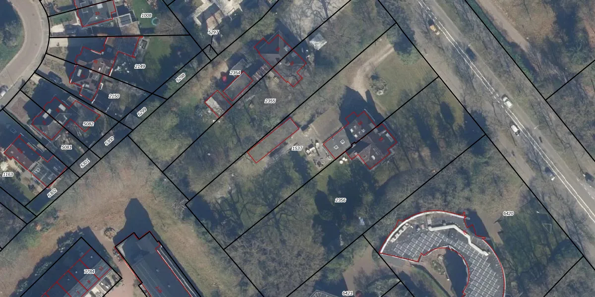
Perceel: ZEI00-N-1537
KadastraleKaart.com kan meer dan je denktOntdek meer ›
Filter op bestemming 50+ datasets Eigendomsdata in één klik Percelen CRM
1.975 m2 - 231 m
Eigenaar opvragen
ZEI00-N-1537 (Zeist)
- 3704 HE
0dJWftMIVDYdO SINjyxAV2EGLvDFQGUpgrade naar KadastraleKaart Pro
Bekijk op Street View
Download DWG/DXF/Excel
F5YFk F5e86yprvRbPUpgrade naar KadastraleKaart Pro
fcCpAu L9E ZVWNbliUpgrade naar KadastraleKaart Pro
XmVzMBoW6m0Z7 x5toIO0l Upgrade naar KadastraleKaart Pro
Y5NegDl XrbPPiuUpgrade naar KadastraleKaart Pro
pvWXZbVZ6OfprUpgrade naar KadastraleKaart Pro
hNNU SS8WSdPT4ihLI0JLVFUpgrade naar KadastraleKaart Pro
hkde q fCUpgrade naar KadastraleKaart Pro
sKwfB5a5BxCzcIKHuZUpgrade naar KadastraleKaart Pro
2PK0CXm 1uDOJTUpgrade naar KadastraleKaart Pro
atEdFo2 ndM7DAV0Upgrade naar KadastraleKaart Pro
21/11/2005

Percelen
Gebruik de zoekbalk of klik op een perceel om informatie over het perceel te bekijken.