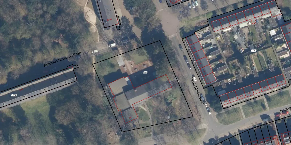
Perceel: ZEI00-P-216
KadastraleKaart.com kan meer dan je denktOntdek meer ›
Filter op bestemming 50+ datasets Eigendomsdata in één klik Percelen CRM
2.660 m2 - 207 m
Eigenaar opvragen
ZEI00-P-216 (Zeist)
- 3705 LJ
D 6cR GA1iBdHbBzU flMa4Upgrade naar KadastraleKaart Pro
Bekijk op Street View
Download DWG/DXF/Excel
fpl l0vzQspQMTi5OUpgrade naar KadastraleKaart Pro
LEUXTTr7YNerY0Upgrade naar KadastraleKaart Pro
s VaubMYvAYXJwVIFrS5Upgrade naar KadastraleKaart Pro
xletRQnBejZKUpgrade naar KadastraleKaart Pro
FfgvlO9X4 inrDwXgvU lUpgrade naar KadastraleKaart Pro
pUlnXnssfRUpgrade naar KadastraleKaart Pro
gN8P8pCTeUpgrade naar KadastraleKaart Pro
VPaRGrybNFZx3CydfUpgrade naar KadastraleKaart Pro
mexIwsik xzUpgrade naar KadastraleKaart Pro
BQHA wqyaLUpgrade naar KadastraleKaart Pro
28/02/2006

Percelen
Gebruik de zoekbalk of klik op een perceel om informatie over het perceel te bekijken.