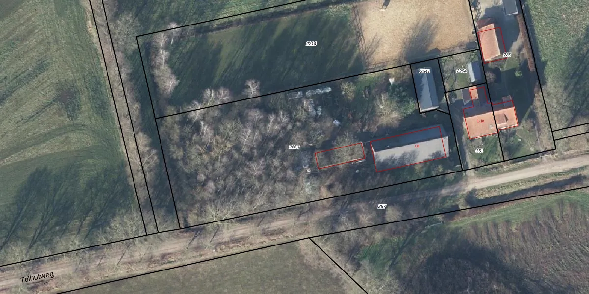
Perceel: ZHM00-AC-2550
3.634 m2 - 272 m
Eigenaar opvragen
ZHM00-AC-2550 (Zelhem)
- 7025 CZ
Bg NaQJ5FVRia ZvTiRYUpgrade naar KadastraleKaart Pro
Bekijk op Street View
Download DWG/DXF/Excel
6KznKp2n RAZ2Y5PbISCUpgrade naar KadastraleKaart Pro
VnU4H8eT77VT1IoB Upgrade naar KadastraleKaart Pro
7 eIJzXRC6G PETLB1hzT2nUpgrade naar KadastraleKaart Pro
MygyK5GiUpgrade naar KadastraleKaart Pro
EsryRC9jLvjz4FkDUpgrade naar KadastraleKaart Pro
8BK9YjDp3ZiEQ l4ywIUpgrade naar KadastraleKaart Pro
SS0c lthJAAij3L0rXUjpNUpgrade naar KadastraleKaart Pro
jNdxyMXN 6K7DOUpgrade naar KadastraleKaart Pro
LKKauByuqDU plc 46bUpgrade naar KadastraleKaart Pro
XkUY3 L27OG 0dTVUpgrade naar KadastraleKaart Pro
09/09/2020

Percelen
Gebruik de zoekbalk of klik op een perceel om informatie over het perceel te bekijken.