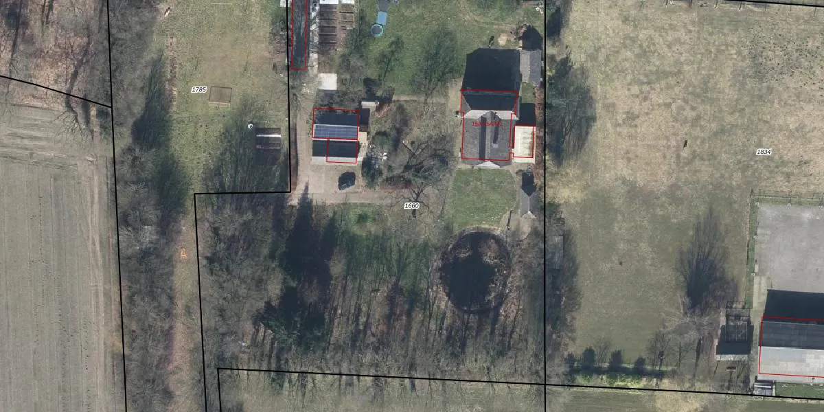
Perceel: ZHM00-G-1660
KadastraleKaart.com kan meer dan je denktOntdek meer ›
Filter op bestemming 50+ datasets Eigendomsdata in één klik Percelen CRM
7.176 m2 - 529 m
Eigenaar opvragen
ZHM00-G-1660 (Zelhem)
- 7021 JN
qg vzG9zqTjDIEg3RkHDI0TmKemUpgrade naar KadastraleKaart Pro
Bekijk op Street View
Download DWG/DXF/Excel
IspRfpETfmJjW8eJby7f8eUpgrade naar KadastraleKaart Pro
nYphqk49QUa uSNzEjj84BUUpgrade naar KadastraleKaart Pro
1g7UMQczOUpgrade naar KadastraleKaart Pro
c5hp xmaDfJ1v74JtUpgrade naar KadastraleKaart Pro
P7kQxNB bB4OzA0GuUpgrade naar KadastraleKaart Pro
hTz2H4H3YgYM41q6Aoec2 eUpgrade naar KadastraleKaart Pro
wCzNuLsBVsT OpH6Upgrade naar KadastraleKaart Pro
0r7KtoWYq1 phGWRBlOyUpgrade naar KadastraleKaart Pro
kSDDd66nWMeJV64B3WpeQaUpgrade naar KadastraleKaart Pro
2nzAgYeyWJUUpgrade naar KadastraleKaart Pro
19/07/2011

Percelen
Gebruik de zoekbalk of klik op een perceel om informatie over het perceel te bekijken.