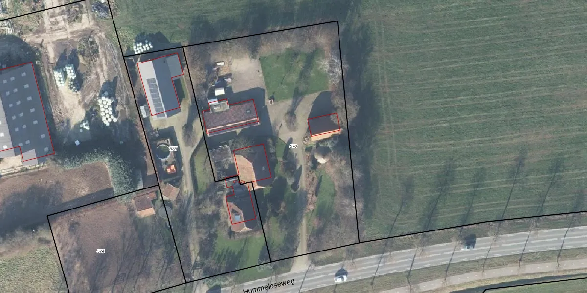
Perceel: ZHM00-T-576
KadastraleKaart.com kan meer dan je denktOntdek meer ›
Filter op bestemming 50+ datasets Eigendomsdata in één klik Percelen CRM
3.335 m2 - 251 m
Eigenaar opvragen
ZHM00-T-576 (Zelhem)
- 7021 KM
jiI YdqC 9 yl0tdMFDtYpdS JUpgrade naar KadastraleKaart Pro
Verkoopprijs opvragen
Bekijk op Street View
Download DWG/DXF/Excel
LCleyxn3wHf9IcZYaUpgrade naar KadastraleKaart Pro
dSADV2lfjxekZujJ 8Upgrade naar KadastraleKaart Pro
II DtH7nCym sc Upgrade naar KadastraleKaart Pro
kyXR LQxL6XUpgrade naar KadastraleKaart Pro
n29rdIMTUpgrade naar KadastraleKaart Pro
P8f31xhPuNuo Upgrade naar KadastraleKaart Pro
zyXAW 0rk0r21Fci1YpgtdDUpgrade naar KadastraleKaart Pro
ZQQ kB 9TEQ27A Upgrade naar KadastraleKaart Pro
A n0jTsYhXUpgrade naar KadastraleKaart Pro
UGeX4H1rrXnjbPu6uI0Upgrade naar KadastraleKaart Pro
19/12/2003

Percelen
Gebruik de zoekbalk of klik op een perceel om informatie over het perceel te bekijken.