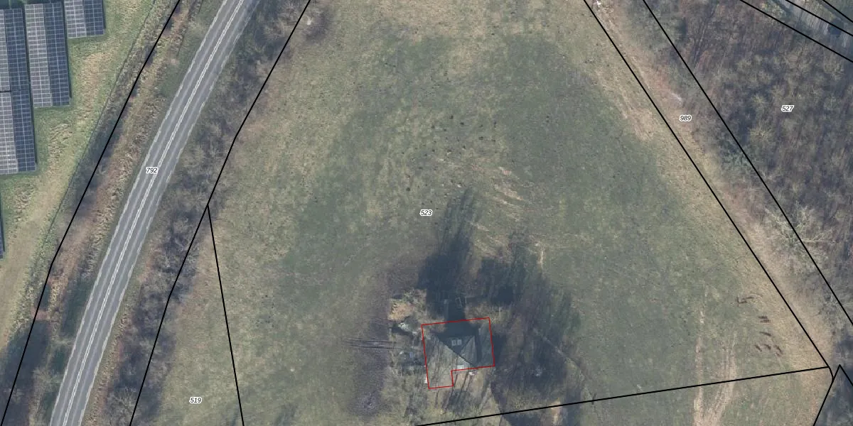
Perceel: ZHM00-U-523
KadastraleKaart.com kan meer dan je denktOntdek meer ›
Filter op bestemming 50+ datasets Eigendomsdata in één klik Percelen CRM
Geen adressen bij dit perceel
12.225 m2 - 458 m
Eigenaar opvragen
ZHM00-U-523 (Zelhem)
- Geen postcode aanwezig
pSt826Bk12KfgClKhVOkDdohxUpgrade naar KadastraleKaart Pro
Bekijk op Street View
Download DWG/DXF/Excel
QLHrVbK HUpgrade naar KadastraleKaart Pro
JrgkuLuJKKH WdymItg9Upgrade naar KadastraleKaart Pro
Y3O B9Z0EsK7b4 H o Upgrade naar KadastraleKaart Pro
xLrTTncBYfpo SUpgrade naar KadastraleKaart Pro
kQ J60mJPcff0gUpgrade naar KadastraleKaart Pro
4d6HhfhLy0ML9QU 8WUpgrade naar KadastraleKaart Pro
dEn0KOSVXf RczIUpgrade naar KadastraleKaart Pro
MGu1p2OPUpgrade naar KadastraleKaart Pro
cc3mFvOw1VJ 0crVif0Upgrade naar KadastraleKaart Pro
m9tKjCi Upgrade naar KadastraleKaart Pro
31/07/2007

Percelen
Gebruik de zoekbalk of klik op een perceel om informatie over het perceel te bekijken.