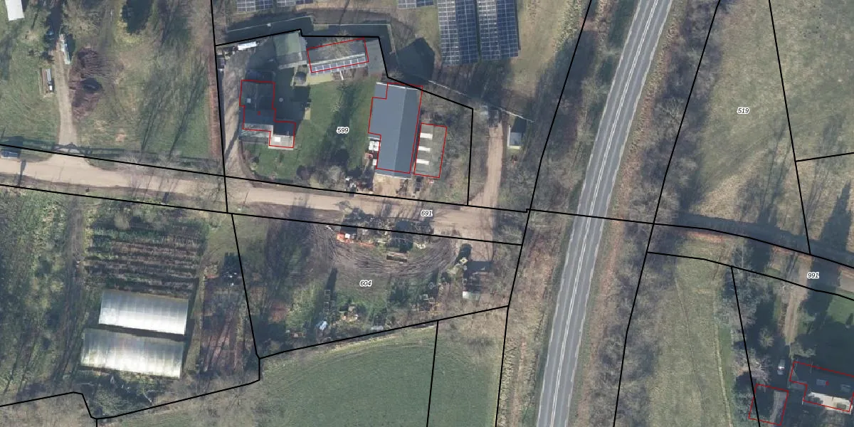
Perceel: ZHM00-U-691
KadastraleKaart.com kan meer dan je denktOntdek meer ›
Filter op bestemming 50+ datasets Eigendomsdata in één klik Percelen CRM
Geen adressen bij dit perceel
560 m2 - 159 m
Eigenaar opvragen
ZHM00-U-691 (Zelhem)
- Geen postcode aanwezig
5RATfNcEO1kU5bP4 Ab6Fm8CUpgrade naar KadastraleKaart Pro
Bekijk op Street View
Download DWG/DXF/Excel
vK 5eo LDjenxFUpgrade naar KadastraleKaart Pro
pm3E9qgtUpgrade naar KadastraleKaart Pro
6OoYpBc7yUpgrade naar KadastraleKaart Pro
Pc BbhIIMPwlXKUpgrade naar KadastraleKaart Pro
IPvjUdV5QptUpgrade naar KadastraleKaart Pro
NXmOG5PUm0mH1Guc x9UP 9Upgrade naar KadastraleKaart Pro
aE1GhjCwUUpgrade naar KadastraleKaart Pro
Z01YmHsBiQ Jbe2YeTKUpgrade naar KadastraleKaart Pro
BD6N6f5n9PUpgrade naar KadastraleKaart Pro
PF75nEiZZIPd Lq9Upgrade naar KadastraleKaart Pro
26/07/2007

Percelen
Gebruik de zoekbalk of klik op een perceel om informatie over het perceel te bekijken.