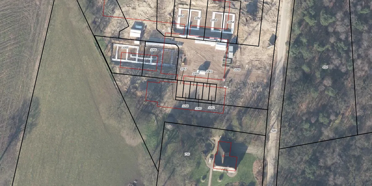
Perceel: ZHM00-X-1058
KadastraleKaart.com kan meer dan je denktOntdek meer ›
Filter op bestemming 50+ datasets Eigendomsdata in één klik Percelen CRM
Geen adressen bij dit perceel
32 m2 - 25 m
Eigenaar opvragen
ZHM00-X-1058 (Zelhem)
- Geen postcode aanwezig
T7GUsg L6ZrpjLLf9ZWSF7rjz8QnxUpgrade naar KadastraleKaart Pro
Bekijk op Street View
Download DWG/DXF/Excel
R 05 mVexM VUKV0iqkUpgrade naar KadastraleKaart Pro
cOttWJtlUpgrade naar KadastraleKaart Pro
YRTfCIo4xyxMe YWHUpgrade naar KadastraleKaart Pro
sPWJ244 xelUpgrade naar KadastraleKaart Pro
EZP4LGfF8hNMDlmUpgrade naar KadastraleKaart Pro
YSd0c jsUbUpgrade naar KadastraleKaart Pro
d1nzZGzKQV jvsbC47RnEUpgrade naar KadastraleKaart Pro
by mTjz0 j GgCUKpPPDH5Upgrade naar KadastraleKaart Pro
GzhmscnIqWhjFIUpgrade naar KadastraleKaart Pro
KVllzbY5lPoYR0NLUpgrade naar KadastraleKaart Pro
19/12/2024

Percelen
Gebruik de zoekbalk of klik op een perceel om informatie over het perceel te bekijken.