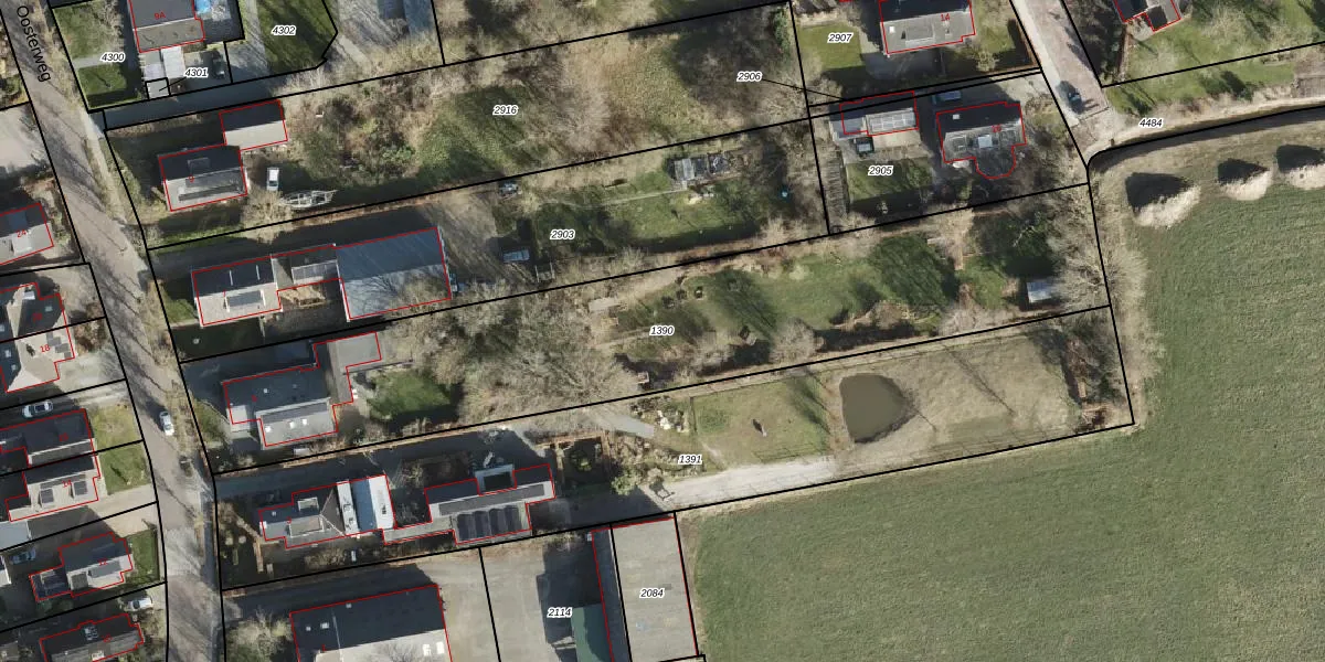
Perceel: ZHN00-A-1390
KadastraleKaart.com kan meer dan je denktOntdek meer ›
Filter op bestemming 50+ datasets Eigendomsdata in één klik Percelen CRM
2.470 m2 - 314 m
Eigenaar opvragen
ZHN00-A-1390 (Zuidhorn)
- 9804 PP
XVZ1QZ fP BqZGbA2 lRUpgrade naar KadastraleKaart Pro
Verkoopprijs opvragen
Bekijk op Street View
Download DWG/DXF/Excel
3FbZOK8jbo1Upgrade naar KadastraleKaart Pro
H ynwwktrNQLm nH Upgrade naar KadastraleKaart Pro
3 iw CVtUsPHqI 0BUpgrade naar KadastraleKaart Pro
101SFlbg4CWRwJJ4nUpgrade naar KadastraleKaart Pro
vf2oQnoKSaiV 9fwqNZUpgrade naar KadastraleKaart Pro
SH6JOxm C7EZxqUpgrade naar KadastraleKaart Pro
R0vd9Mml6lRn0Dz Upgrade naar KadastraleKaart Pro
EBULvFlsahx hk 3 FL1IuUpgrade naar KadastraleKaart Pro
bNUXz C9NmhiJfRV8Upgrade naar KadastraleKaart Pro
LSM ma7Zhy8I9N7Upgrade naar KadastraleKaart Pro
01/04/2003

Percelen
Gebruik de zoekbalk of klik op een perceel om informatie over het perceel te bekijken.