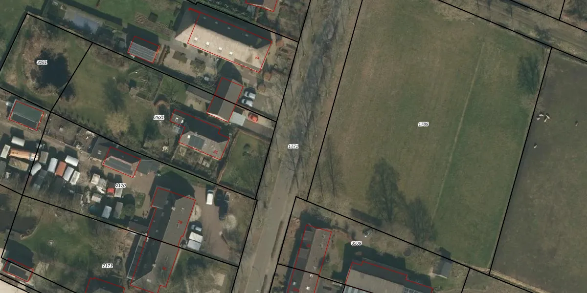
Perceel: ZLD02-H-1771
KadastraleKaart.com kan meer dan je denktOntdek meer ›
Filter op bestemming 50+ datasets Eigendomsdata in één klik Percelen CRM
Geen adressen bij dit perceel
7.950 m2 - 1.171 m
Eigenaar opvragen
ZLD02-H-1771 (Zeeland)
- Geen postcode aanwezig
1nC u3b9QWvwcjpGjyGuTSFSSkc14iyUpgrade naar KadastraleKaart Pro
Bekijk op Street View
Download DWG/DXF/Excel
aouRVGuI7EdrC nK HUpgrade naar KadastraleKaart Pro
mVRZYZBTkaUpgrade naar KadastraleKaart Pro
t81PFC4y0RcUpgrade naar KadastraleKaart Pro
gyPYx5kuWkZBjWUpgrade naar KadastraleKaart Pro
5ME whUboQoXSOz6EucUpgrade naar KadastraleKaart Pro
01bWuV8RotD636wXUpgrade naar KadastraleKaart Pro
QOu IvAmFLBs1 dkUpgrade naar KadastraleKaart Pro
POXbjCQtGUJ7Upgrade naar KadastraleKaart Pro
pRtJW1pZYPI Upgrade naar KadastraleKaart Pro
vVf6gM69Vkv2igRzMLUpgrade naar KadastraleKaart Pro
24/05/2018

Percelen
Gebruik de zoekbalk of klik op een perceel om informatie over het perceel te bekijken.