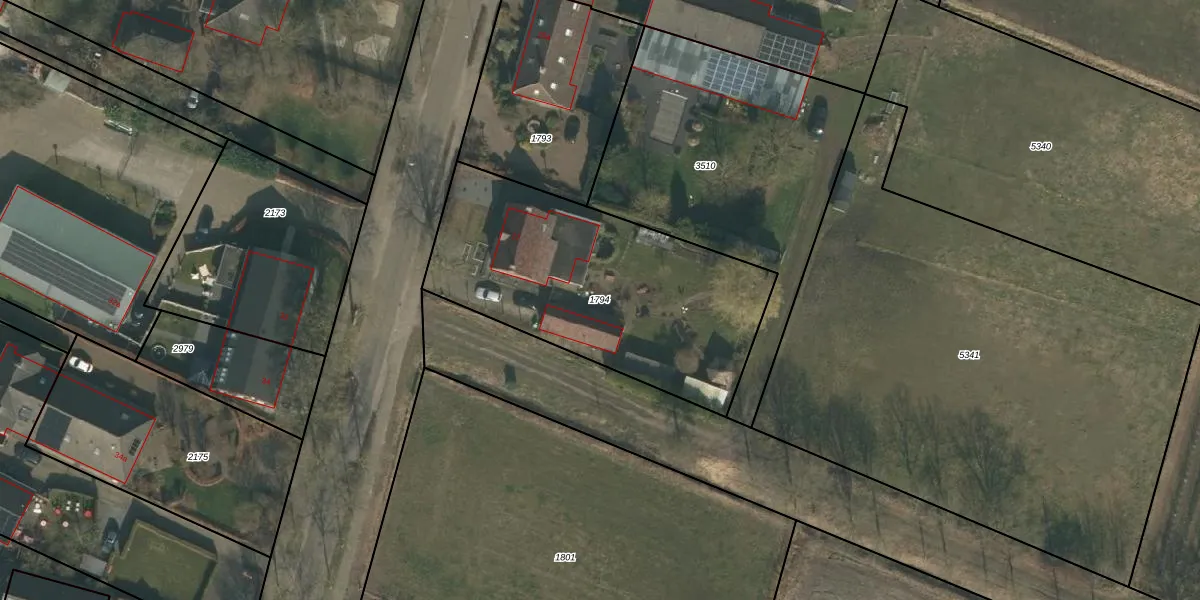
Perceel: ZLD02-H-1794
KadastraleKaart.com kan meer dan je denktOntdek meer ›
Filter op bestemming 50+ datasets Eigendomsdata in één klik Percelen CRM
1.325 m2 - 159 m
Eigenaar opvragen
ZLD02-H-1794 (Zeeland)
- 5411 PA
ndXGZgr 3Nx8nFRGwUpgrade naar KadastraleKaart Pro
Verkoopprijs opvragen
Bekijk op Street View
Download DWG/DXF/Excel
36P7lxciG SuUpgrade naar KadastraleKaart Pro
djRqr4 Anfa7QQZUpgrade naar KadastraleKaart Pro
LsPkLWZk3 Feb2oZ wcpZUpgrade naar KadastraleKaart Pro
Qo 5Jd iFyCFmc76Upgrade naar KadastraleKaart Pro
Gqear M f6bKwyUpgrade naar KadastraleKaart Pro
bHiLv9U0 YZUpgrade naar KadastraleKaart Pro
HqowaK6hcwArAkmEGUpgrade naar KadastraleKaart Pro
wjH9ZvY sM3KUpgrade naar KadastraleKaart Pro
jiO3zkaFQsJ0X4JUpgrade naar KadastraleKaart Pro
XAFU tcsEAETosXBU22FGUpgrade naar KadastraleKaart Pro
06/10/2006

Percelen
Gebruik de zoekbalk of klik op een perceel om informatie over het perceel te bekijken.