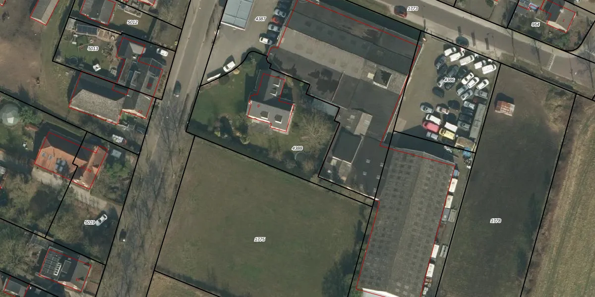
Perceel: ZLD02-H-4388
KadastraleKaart.com kan meer dan je denktOntdek meer ›
Filter op bestemming 50+ datasets Eigendomsdata in één klik Percelen CRM
1.390 m2 - 195 m
Eigenaar opvragen
ZLD02-H-4388 (Zeeland)
- 5411 PA
037 jCfqrxDhO wCqtqUpgrade naar KadastraleKaart Pro
Bekijk op Street View
Download DWG/DXF/Excel
z43 ovg2Y3DVBjUpgrade naar KadastraleKaart Pro
pRcSKaI 2do9gUpgrade naar KadastraleKaart Pro
RVOai0yZ u9il3N31 GUpgrade naar KadastraleKaart Pro
GaOi2e8OZ1DT FcUpgrade naar KadastraleKaart Pro
pQWVLzY47k7akG5Upgrade naar KadastraleKaart Pro
wPfs4h1TQPB Rw7 WGUpgrade naar KadastraleKaart Pro
byWLbJoDiUpgrade naar KadastraleKaart Pro
ucSTDPr 0Upgrade naar KadastraleKaart Pro
9 KTZM1zsUpgrade naar KadastraleKaart Pro
2nhOfCdV8ocRUpgrade naar KadastraleKaart Pro
22/03/2011

Percelen
Gebruik de zoekbalk of klik op een perceel om informatie over het perceel te bekijken.