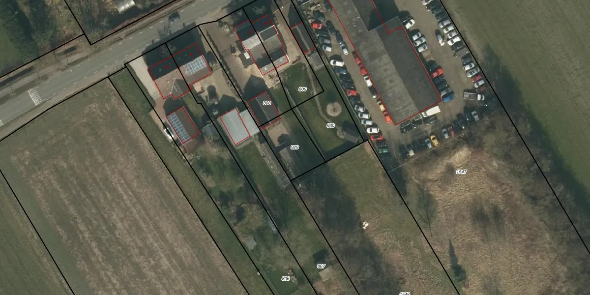
Perceel: ZLD02-K-929
KadastraleKaart.com kan meer dan je denktOntdek meer ›
Filter op bestemming 50+ datasets Eigendomsdata in één klik Percelen CRM
Geen adressen bij dit perceel
280 m2 - 69 m
Eigenaar opvragen
ZLD02-K-929 (Zeeland)
- Geen postcode aanwezig
LoSQHqZYJppEdVEDEcpUpgrade naar KadastraleKaart Pro
Bekijk op Street View
Download DWG/DXF/Excel
8NeGXFDLUpgrade naar KadastraleKaart Pro
TBk0FeH8 fbpSpbdGKvOUpgrade naar KadastraleKaart Pro
mhmzut KtNjGMK4HeDF PUpgrade naar KadastraleKaart Pro
wkEYBWavMgN3Upgrade naar KadastraleKaart Pro
kKC dUYQ1J Agl dUpgrade naar KadastraleKaart Pro
mByE ikfy9q 1ZlBKUpgrade naar KadastraleKaart Pro
2gquq fy5gmQ6x1vLAmgUpgrade naar KadastraleKaart Pro
L N6YitTUpgrade naar KadastraleKaart Pro
R4q LTJmreyaG21doGImUpgrade naar KadastraleKaart Pro
A4fYTZGxUpgrade naar KadastraleKaart Pro
02/09/2005

Percelen
Gebruik de zoekbalk of klik op een perceel om informatie over het perceel te bekijken.