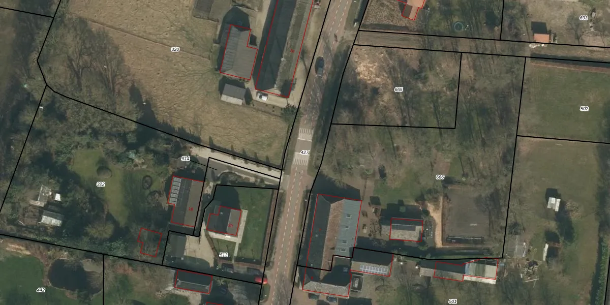
Perceel: ZLD02-L-427
KadastraleKaart.com kan meer dan je denktOntdek meer ›
Filter op bestemming 50+ datasets Eigendomsdata in één klik Percelen CRM
Geen adressen bij dit perceel
16.935 m2 - 2.806 m
Eigenaar opvragen
ZLD02-L-427 (Zeeland)
- Geen postcode aanwezig
SymfCwP4z8 qrZ001Wj4g7BTv2bEHMUpgrade naar KadastraleKaart Pro
Bekijk op Street View
Download DWG/DXF/Excel
aQP kDMnCgkKKZkkIMlUpgrade naar KadastraleKaart Pro
jWsacQhdfcpor4 A 79sooUpgrade naar KadastraleKaart Pro
I UWzHieUpgrade naar KadastraleKaart Pro
SNaGUyf9Yk21hXu FUpgrade naar KadastraleKaart Pro
ziCF6fbGUpgrade naar KadastraleKaart Pro
6ckw Lr3TcUpgrade naar KadastraleKaart Pro
vPpEI XrfdGutdwUpgrade naar KadastraleKaart Pro
dQappLPp77N82zt qVBgvUpgrade naar KadastraleKaart Pro
ng0 VRi r6aMiexHQUpgrade naar KadastraleKaart Pro
hh0MRQHmhbbnOmTJs5pqQUpgrade naar KadastraleKaart Pro
10/06/2022

Percelen
Gebruik de zoekbalk of klik op een perceel om informatie over het perceel te bekijken.