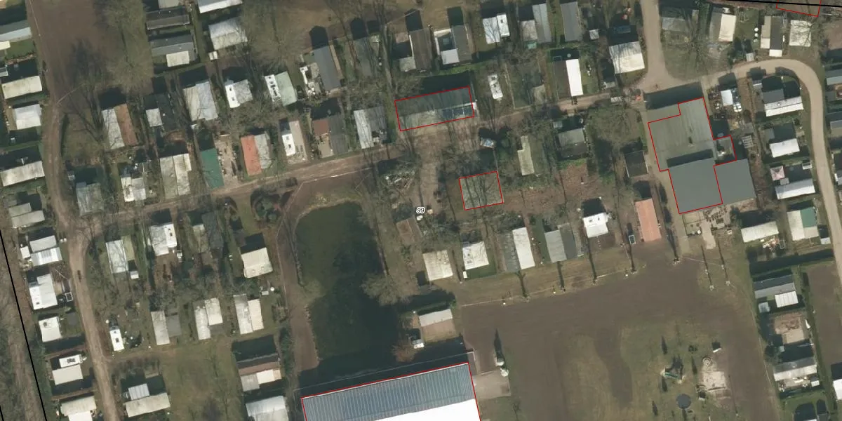
Perceel: ZLD02-L-99
KadastraleKaart.com kan meer dan je denktOntdek meer ›
Filter op bestemming 50+ datasets Eigendomsdata in één klik Percelen CRM
Geen adressen bij dit perceel
42.370 m2 - 866 m
Eigenaar opvragen
ZLD02-L-99 (Zeeland)
- Geen postcode aanwezig
pP7HveDfLv7zPO61UkFUpgrade naar KadastraleKaart Pro
Bekijk op Street View
Download DWG/DXF/Excel
TkWElui1A 8FAeOysQG1Upgrade naar KadastraleKaart Pro
lUBTYm4uRPVBxhnmVkM7xUpgrade naar KadastraleKaart Pro
NOjK xQP7G2oJ8z5Upgrade naar KadastraleKaart Pro
oWKSXiqn1C7fpq1OAFInU3Upgrade naar KadastraleKaart Pro
WONsLpKxuyUoUpgrade naar KadastraleKaart Pro
ZCAvupsqbM FWSV5zWoeaIUpgrade naar KadastraleKaart Pro
1pfwqQEpSw f5j5tN6XUpgrade naar KadastraleKaart Pro
33ys 6T KVTUpgrade naar KadastraleKaart Pro
GmpIv M9a yUpgrade naar KadastraleKaart Pro
xdHpVt9y0zOxijUpgrade naar KadastraleKaart Pro
30/09/2008

Percelen
Gebruik de zoekbalk of klik op een perceel om informatie over het perceel te bekijken.