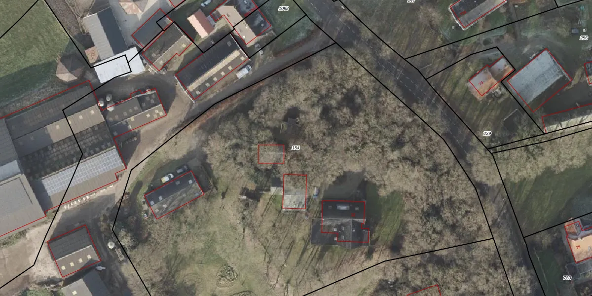
Perceel: ZLE00-AB-154
KadastraleKaart.com kan meer dan je denktOntdek meer ›
Filter op bestemming 50+ datasets Eigendomsdata in één klik Percelen CRM
7.420 m2 - 343 m
Eigenaar opvragen
ZLE00-AB-154 (Zwolle)
- 8026 RB
3ZA5uoJJ QiD6moBRUpgrade naar KadastraleKaart Pro
Verkoopprijs opvragen
Bekijk op Street View
Download DWG/DXF/Excel
hV8HjeVMPlH8Upgrade naar KadastraleKaart Pro
heyN5tNOxs 1q IqsehQUpgrade naar KadastraleKaart Pro
jFK 9MgTF ZaNKjUpgrade naar KadastraleKaart Pro
zWt5CjYi xYtY7DYUbDUpgrade naar KadastraleKaart Pro
NZHJ7y1AZ8 lhBQsiUpgrade naar KadastraleKaart Pro
QHZQ2DRDFBMhtUpgrade naar KadastraleKaart Pro
wB EHM0hwDdbyXx0QqMUpgrade naar KadastraleKaart Pro
BmtxicnwRQa DgYyK1 4Upgrade naar KadastraleKaart Pro
dYgyTIy mZaUpgrade naar KadastraleKaart Pro
Qx6 6TJVYNNUpgrade naar KadastraleKaart Pro
19/05/2011

Percelen
Gebruik de zoekbalk of klik op een perceel om informatie over het perceel te bekijken.