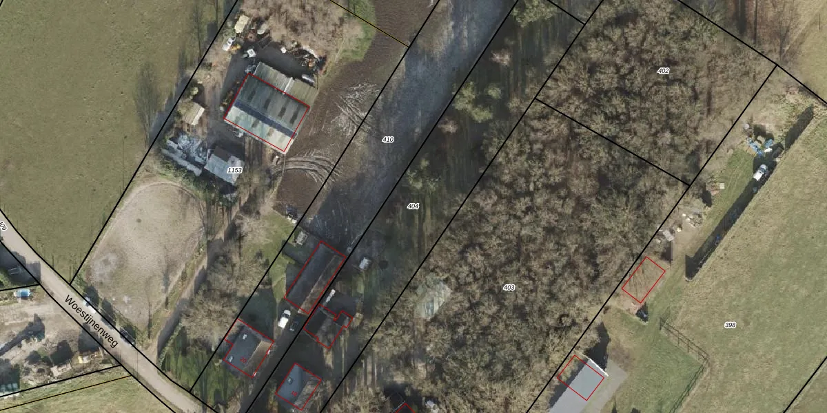
Perceel: ZLE00-AB-404
KadastraleKaart.com kan meer dan je denktOntdek meer ›
Filter op bestemming 50+ datasets Eigendomsdata in één klik Percelen CRM
2.015 m2 - 287 m
Eigenaar opvragen
ZLE00-AB-404 (Zwolle)
- 8026 PJ
Kpw1Oef5abb1iq9r5vwuYmhUpgrade naar KadastraleKaart Pro
Verkoopprijs opvragen
Bekijk op Street View
Download DWG/DXF/Excel
HZfPvFllT7TkhUpgrade naar KadastraleKaart Pro
s37E14 dngxQNrUUpgrade naar KadastraleKaart Pro
L jRD XkaiUpgrade naar KadastraleKaart Pro
7iZd5XK32eYqUUUpgrade naar KadastraleKaart Pro
m8 JIaVSxoUpgrade naar KadastraleKaart Pro
2u3cNm 5qZa KUpgrade naar KadastraleKaart Pro
PiPyuCdMpw4 Upgrade naar KadastraleKaart Pro
C7FLPDVDPUpgrade naar KadastraleKaart Pro
vdOrowRs 3v4 l6LmbUpgrade naar KadastraleKaart Pro
IYoMch6 sUpgrade naar KadastraleKaart Pro
10/08/2006

Percelen
Gebruik de zoekbalk of klik op een perceel om informatie over het perceel te bekijken.