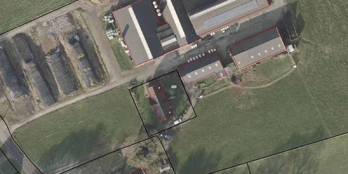
Perceel: ZLE00-AB-689
KadastraleKaart.com kan meer dan je denktOntdek meer ›
Filter op bestemming 50+ datasets Eigendomsdata in één klik Percelen CRM
870 m2 - 118 m
Eigenaar opvragen
ZLE00-AB-689 (Zwolle)
- 8026 RE
u2 f 8PXON 6ZMWeUpgrade naar KadastraleKaart Pro
Bekijk op Street View
Download DWG/DXF/Excel
NEdE kcGmDw0eVUpgrade naar KadastraleKaart Pro
yWgVjD 9SUpgrade naar KadastraleKaart Pro
RABV2Y3k3RJLYdymHRUpgrade naar KadastraleKaart Pro
LJvW ciyx ImoBlUpgrade naar KadastraleKaart Pro
kMnNp XdN EdJO6ERUpgrade naar KadastraleKaart Pro
n7PsBQ 0Xr8EsUpgrade naar KadastraleKaart Pro
MMl3v1nGyejGuhC3 CUpgrade naar KadastraleKaart Pro
FMnAdNp ZfRe PGpjT Upgrade naar KadastraleKaart Pro
4KORtM7dUpgrade naar KadastraleKaart Pro
1Y53GkPby ba4fUpgrade naar KadastraleKaart Pro
19/04/2006

Percelen
Gebruik de zoekbalk of klik op een perceel om informatie over het perceel te bekijken.