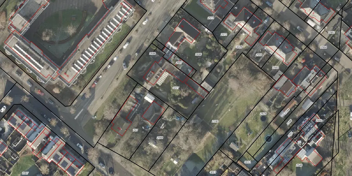
Perceel: ZLE00-P-3227
889 m2 - 131 m
Eigenaar opvragen
ZLE00-P-3227 (Zwolle)
- 8017 HL
6PLECoHl8aEEu7 i0nkUpgrade naar KadastraleKaart Pro
Verkoopprijs opvragen
Bekijk op Street View
Download DWG/DXF/Excel
MpDWfW xUpgrade naar KadastraleKaart Pro
rvIrnA0TJGBUpgrade naar KadastraleKaart Pro
jwSV 7G 9EQRDPu6r C Upgrade naar KadastraleKaart Pro
uNIM kM3kA3ZHYnUpgrade naar KadastraleKaart Pro
Qp5oz0VL8AmHyhrYCpmUpgrade naar KadastraleKaart Pro
oRfnipE3xUpgrade naar KadastraleKaart Pro
zcGkE Z9AkKNq AgZWCBUpgrade naar KadastraleKaart Pro
KgZL6mYU4Upgrade naar KadastraleKaart Pro
gIgg1MmRVZUpgrade naar KadastraleKaart Pro
aaCCd3X8wtIsvEkYpBzUpgrade naar KadastraleKaart Pro
09/11/2005

Percelen
Gebruik de zoekbalk of klik op een perceel om informatie over het perceel te bekijken.