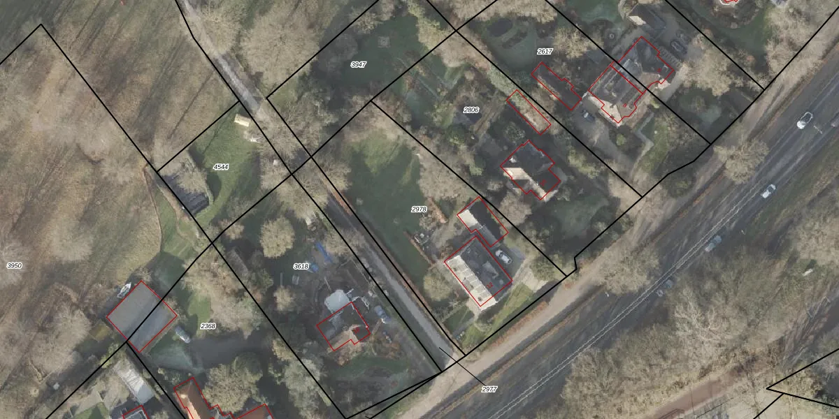
Perceel: ZLK00-M-2978

Adres bij perceel

Perceeloppervlakte & perceelomtrek

1.545 m2 - 173 m

Eigenaar van het perceel

Eigenaar opvragen

Kadastrale aanduiding

ZLK00-M-2978 (Zwollerkerspel)

Postcode in perceel

    8019 BD

Type eigenaar

apGDCe1djPlbBaI aUpgrade naar KadastraleKaart Pro

Woning verkocht in 2017

Verkoopprijs opvragen

Google Street View

Bekijk op Street View

Download

Download DWG/DXF/Excel

Gerelateerde percelen

G8 HzAX31pkYII zUpgrade naar KadastraleKaart Pro

Bebouwd/onbebouwd/water/groen

xr9eU7jGc1tP V 2FFcUpgrade naar KadastraleKaart Pro
Administratieve eenheden
AqwIY fsjR54Lq6AdKQg IUpgrade naar KadastraleKaart Pro

Appartementsrechten

L4TgDcadbQ2Upgrade naar KadastraleKaart Pro

Vergunningverlenende instanties

8YR3rg2VGTmzUpgrade naar KadastraleKaart Pro

Bedekking (BGT)

iSvx vN 1TO5DyB Upgrade naar KadastraleKaart Pro

Publiekrechtelijke beperkingen

Sr 9q6dhsH 05xRvUpgrade naar KadastraleKaart Pro

Grensnauwkeurigheid

9kLmj9fVUpgrade naar KadastraleKaart Pro

Coördinaten hoekpunten perceel

I9JWS jmUpgrade naar KadastraleKaart Pro

Hoogteligging

gQ9j2eWU44Jb2 rMUpgrade naar KadastraleKaart Pro

Laatst gewijzigd

21/07/2003

Kadastrale kaart met maatvoering 59,95
Kadastrale kaart pakket 28,95

Percelen

Gebruik de zoekbalk of klik op een perceel om informatie over het perceel te bekijken.
Locatie
Meten
Lagen
Download