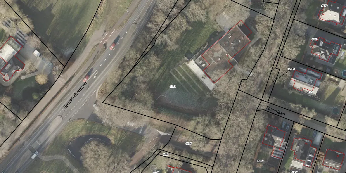
Perceel: ZLK00-M-3173
KadastraleKaart.com kan meer dan je denktOntdek meer ›
Filter op bestemming 50+ datasets Eigendomsdata in één klik Percelen CRM
4.540 m2 - 284 m
Eigenaar opvragen
ZLK00-M-3173 (Zwollerkerspel)
- 8019 BR
D jvI TrI7Ea PM97fUpgrade naar KadastraleKaart Pro
Verkoopprijs opvragen
Bekijk op Street View
Download DWG/DXF/Excel
SjijZYpdOG GlN7NUpgrade naar KadastraleKaart Pro
L JFeOifqEwMrFBUpgrade naar KadastraleKaart Pro
hc kIzDX2YW3DwV9 FUpgrade naar KadastraleKaart Pro
xrlN6qS bOcoi5MQLUpgrade naar KadastraleKaart Pro
TB 0Ag8PEJXUpgrade naar KadastraleKaart Pro
oUCPrEMmaTbEFP1rUpgrade naar KadastraleKaart Pro
SiHA Wvb841c4QyUpgrade naar KadastraleKaart Pro
MKXVEYzUpgrade naar KadastraleKaart Pro
NdFtpUt9HmbhDzooUpgrade naar KadastraleKaart Pro
ZCY5n6Og1Upgrade naar KadastraleKaart Pro
23/07/2003

Percelen
Gebruik de zoekbalk of klik op een perceel om informatie over het perceel te bekijken.