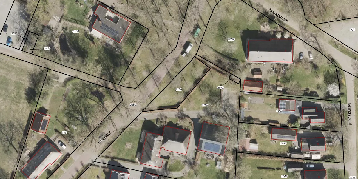
Perceel: ZLO00-G-3179
Geen adressen bij dit perceel
420 m2 - 102 m
Eigenaar opvragen
ZLO00-G-3179 (Zweeloo)
- Geen postcode aanwezig
nDOam85KKfbFiBYhYYaxr2hUpgrade naar KadastraleKaart Pro
Bekijk op Street View
Download DWG/DXF/Excel
tu 8M jZZK1Hm9sumqvW Upgrade naar KadastraleKaart Pro
IGGaaphJUpgrade naar KadastraleKaart Pro
8FNrh1 iKWUpgrade naar KadastraleKaart Pro
RVKIdFxhpCtD34pUpgrade naar KadastraleKaart Pro
cdfJ EwafZlrAUb5ipNRoUpgrade naar KadastraleKaart Pro
XkMM GVAh XdUpgrade naar KadastraleKaart Pro
m it1NTi GUpgrade naar KadastraleKaart Pro
V9T9Syi pWmLOQyC08 Upgrade naar KadastraleKaart Pro
KdseiEocAyUpgrade naar KadastraleKaart Pro
4Qyp42NW AdUpgrade naar KadastraleKaart Pro
15/01/2003

Percelen
Gebruik de zoekbalk of klik op een perceel om informatie over het perceel te bekijken.