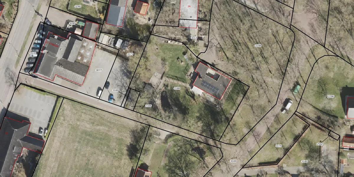
Perceel: ZLO00-G-3188
2.440 m2 - 202 m
Eigenaar opvragen
ZLO00-G-3188 (Zweeloo)
- 7851 AB
zp7LGtZpGkBkf R WjS A6MOxTZ4TEKUpgrade naar KadastraleKaart Pro
Verkoopprijs opvragen
Bekijk op Street View
Download DWG/DXF/Excel
gazdjQMyf6pAmJ70ZUpgrade naar KadastraleKaart Pro
V PBfIyaN2SCqUpgrade naar KadastraleKaart Pro
lLM7puMESB2YxM bRQ5Upgrade naar KadastraleKaart Pro
RzAIro c RCgldMcvBUpgrade naar KadastraleKaart Pro
gF5Ft3xiyLD 9hZYUpgrade naar KadastraleKaart Pro
A3EqXiNwrUpgrade naar KadastraleKaart Pro
6xIGbDDK4hH fuYUpgrade naar KadastraleKaart Pro
4mEto4rX9uEIFHPo5KUpgrade naar KadastraleKaart Pro
ox3OzWgomIWPIhUpgrade naar KadastraleKaart Pro
VtQ X23SmRsZMvvS QUpgrade naar KadastraleKaart Pro
02/03/2007

Percelen
Gebruik de zoekbalk of klik op een perceel om informatie over het perceel te bekijken.