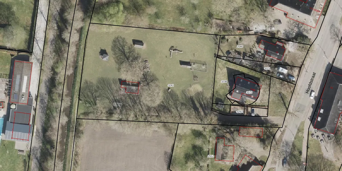
Perceel: ZLO00-G-3241
Geen adressen bij dit perceel
4.715 m2 - 397 m
Eigenaar opvragen
ZLO00-G-3241 (Zweeloo)
- Geen postcode aanwezig
YlifXat WnAWGha 89Xc7VNMHUpgrade naar KadastraleKaart Pro
Bekijk op Street View
Download DWG/DXF/Excel
U8c718P8tf599QokuHUpgrade naar KadastraleKaart Pro
WL725NTcAoUpgrade naar KadastraleKaart Pro
F85fBp2RlSs0hUth siIuNUpgrade naar KadastraleKaart Pro
fqQ5h mXVhUpgrade naar KadastraleKaart Pro
KVuhLVYIU zYPP Ib0KUpgrade naar KadastraleKaart Pro
0eGzqqkrmYGhPe2JTP0SzutUpgrade naar KadastraleKaart Pro
MTQgqGeijdPUpgrade naar KadastraleKaart Pro
hDiU8Z7NaPspUpgrade naar KadastraleKaart Pro
glJwAg k YAUpgrade naar KadastraleKaart Pro
TksS2HsVv6CngzjatF6 jUpgrade naar KadastraleKaart Pro
09/01/2019

Percelen
Gebruik de zoekbalk of klik op een perceel om informatie over het perceel te bekijken.