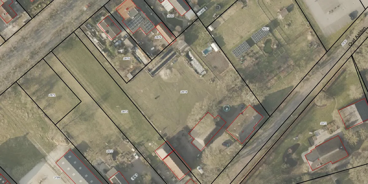
Perceel: ZLO00-I-2874
3.955 m2 - 328 m
Eigenaar opvragen
ZLO00-I-2874 (Zweeloo)
- 7854 RW
3 kKYGd8y Xs6z1mWh8i7WraUpgrade naar KadastraleKaart Pro
Verkoopprijs opvragen
Bekijk op Street View
Download DWG/DXF/Excel
gsm2victZY0kUpgrade naar KadastraleKaart Pro
rfqsK6 AYkZx4e4 mPUpgrade naar KadastraleKaart Pro
AUfR3MRzzcKuExtKPFr5zUpgrade naar KadastraleKaart Pro
e7JAiAk4oe kNI1eKabUpgrade naar KadastraleKaart Pro
RP0ShMPZ8VmQ5ul9q 8Upgrade naar KadastraleKaart Pro
YnxKWt9k0WxXGHQi5wPx kUpgrade naar KadastraleKaart Pro
V2G cGSYFjeoaCUpgrade naar KadastraleKaart Pro
xNmWcqOwq5nw6gUpgrade naar KadastraleKaart Pro
H8uVD9Gm LOi5AcE yUpgrade naar KadastraleKaart Pro
7x WBTqiFNRC vDUpgrade naar KadastraleKaart Pro
27/03/2008

Percelen
Gebruik de zoekbalk of klik op een perceel om informatie over het perceel te bekijken.