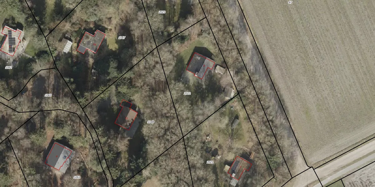
Perceel: ZLO00-L-2022
1.551 m2 - 163 m
Eigenaar opvragen
ZLO00-L-2022 (Zweeloo)
- 7855 PZ
e lA2jSZzIXw1XKpBaD7Upgrade naar KadastraleKaart Pro
Verkoopprijs opvragen
Bekijk op Street View
Download DWG/DXF/Excel
j43Wzw5eVzhUpgrade naar KadastraleKaart Pro
rTQgXV STvuYzPAMLL7Upgrade naar KadastraleKaart Pro
dxsCYmFVnJ76AluUpgrade naar KadastraleKaart Pro
BI72 UsOgDVS9eG raZGDhUpgrade naar KadastraleKaart Pro
CbYjiICmr2Yjsq5yqvuCUpgrade naar KadastraleKaart Pro
8gzrTJezVevpUpgrade naar KadastraleKaart Pro
b5rm71RzYmuLPhwgF Upgrade naar KadastraleKaart Pro
m892FJ1diDFUpgrade naar KadastraleKaart Pro
IKV7jm0 if RFj Upgrade naar KadastraleKaart Pro
Vt2uLVA fhGy9lRUpgrade naar KadastraleKaart Pro
03/07/2003

Percelen
Gebruik de zoekbalk of klik op een perceel om informatie over het perceel te bekijken.