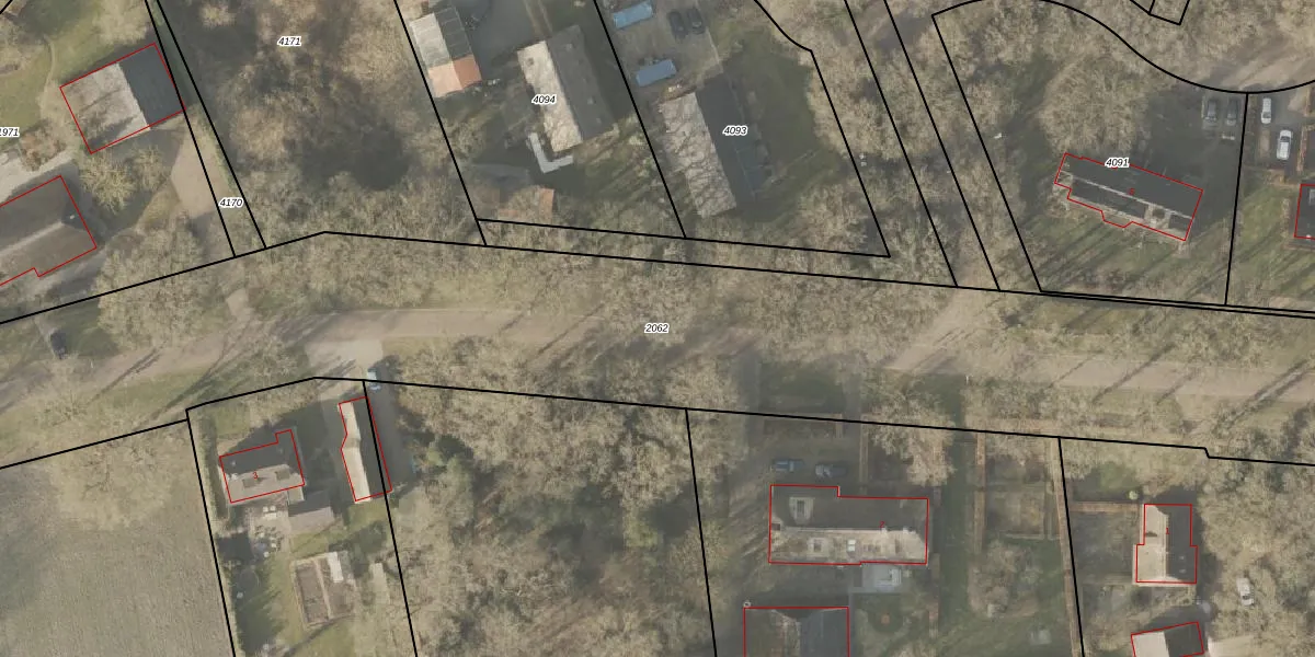
Perceel: ZLO00-L-2062
Geen adressen bij dit perceel
7.155 m2 - 698 m
Eigenaar opvragen
ZLO00-L-2062 (Zweeloo)
- Geen postcode aanwezig
0q5puTB1fP5SzXnLD79x7a cF4zyykoUpgrade naar KadastraleKaart Pro
Bekijk op Street View
Download DWG/DXF/Excel
2JUHI1ZPwzyG56mUpgrade naar KadastraleKaart Pro
r83GKSqvmJwUpgrade naar KadastraleKaart Pro
JIUWLIyPw2uKLMskfUpgrade naar KadastraleKaart Pro
E8aW ASvvzwUpgrade naar KadastraleKaart Pro
7gaYdmkD nUpgrade naar KadastraleKaart Pro
7DOaijRlUpgrade naar KadastraleKaart Pro
z PXIsLET6qq2CZUpgrade naar KadastraleKaart Pro
PyTQ sDnlUpgrade naar KadastraleKaart Pro
wSisgBejfQ I2dWmaLwUpgrade naar KadastraleKaart Pro
WJmOFUFeGNkk0Upgrade naar KadastraleKaart Pro
08/10/2024

Percelen
Gebruik de zoekbalk of klik op een perceel om informatie over het perceel te bekijken.