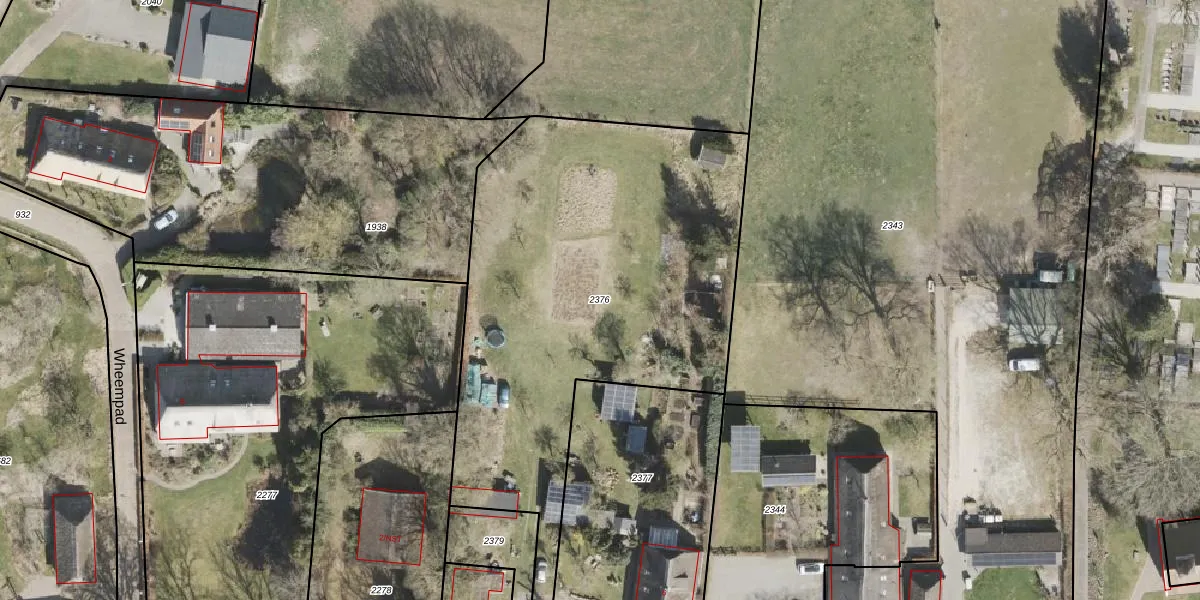
Perceel: ZLO00-L-2376
2.680 m2 - 323 m
Eigenaar opvragen
ZLO00-L-2376 (Zweeloo)
- 7851 TA
t94kc70cObjdCBGfg6UePIPNUpgrade naar KadastraleKaart Pro
Verkoopprijs opvragen
Bekijk op Street View
Download DWG/DXF/Excel
8We k NaFY9 nBqurIjfOCDUpgrade naar KadastraleKaart Pro
IBp pqozp19eAiLUpgrade naar KadastraleKaart Pro
tloFRpkK61RBg Q3Upgrade naar KadastraleKaart Pro
obXRLx WQm3mz4FQUpgrade naar KadastraleKaart Pro
w k99wa nH Upgrade naar KadastraleKaart Pro
XLPUeXyMctd5 q2Y82v9Upgrade naar KadastraleKaart Pro
QVLsFbZfXDUO1TQiJ2ZHE Upgrade naar KadastraleKaart Pro
rqnhg0x7ni1ph lYSrGFwNUpgrade naar KadastraleKaart Pro
EsufltrvrCUpgrade naar KadastraleKaart Pro
GvYzdVZ Upgrade naar KadastraleKaart Pro
08/04/2024

Percelen
Gebruik de zoekbalk of klik op een perceel om informatie over het perceel te bekijken.