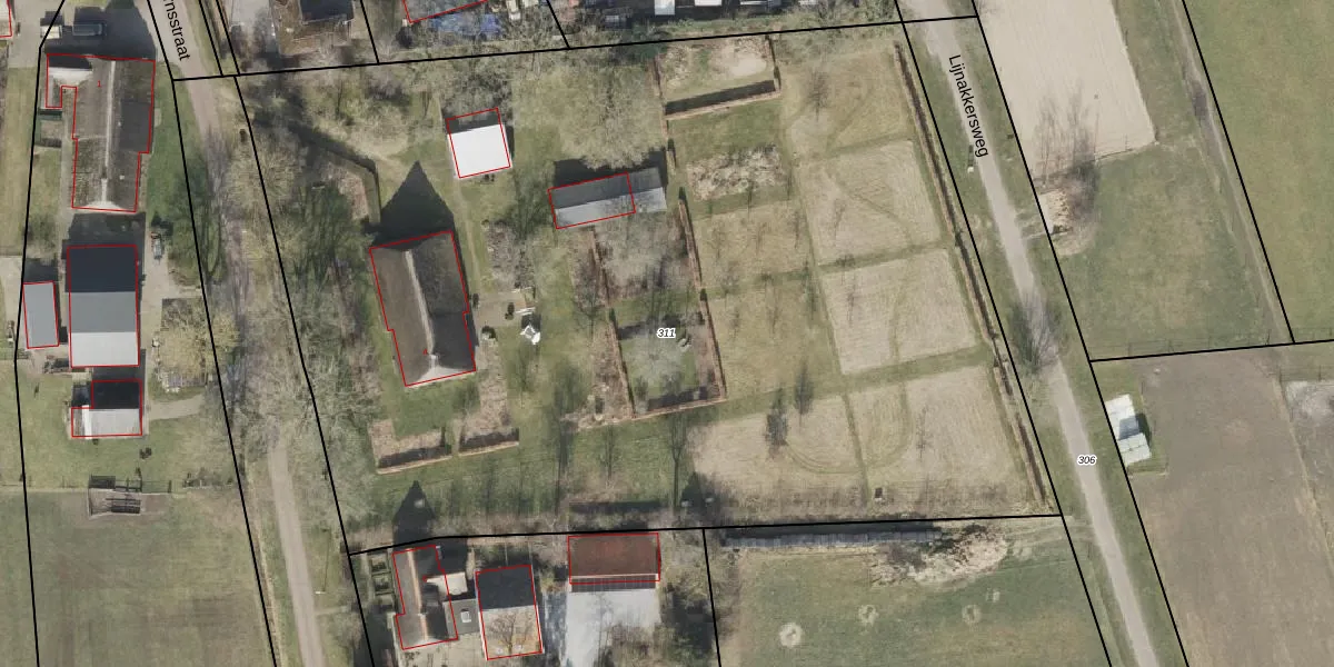
Perceel: ZLO00-R-311
7.575 m2 - 359 m
Eigenaar opvragen
ZLO00-R-311 (Zweeloo)
- 7855 PM
PoD Z2IsVj8oxVbSRrYshxXQjUpgrade naar KadastraleKaart Pro
Verkoopprijs opvragen
Bekijk op Street View
Download DWG/DXF/Excel
HyMB 6YzcwUpgrade naar KadastraleKaart Pro
K0eIwsLEwUpgrade naar KadastraleKaart Pro
a5UUJb5LPXspTmCPlRUpgrade naar KadastraleKaart Pro
vCOLcALtHzaafQdIi9dfxUpgrade naar KadastraleKaart Pro
b tYo DL DdxMUpgrade naar KadastraleKaart Pro
j4nDFJWVbeaUpgrade naar KadastraleKaart Pro
O74aDuJQ d5XlCFtHmEkUpgrade naar KadastraleKaart Pro
v2cGsATuf2 Upgrade naar KadastraleKaart Pro
GrdCE8s qnc4idHR rbSA3qUpgrade naar KadastraleKaart Pro
VIKpnWZRbAgF4Zz0Upgrade naar KadastraleKaart Pro
17/10/2012

Percelen
Gebruik de zoekbalk of klik op een perceel om informatie over het perceel te bekijken.