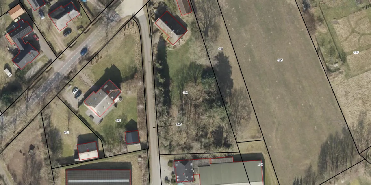
Perceel: ZLO00-R-336
2.935 m2 - 256 m
Eigenaar opvragen
ZLO00-R-336 (Zweeloo)
- 7855 PK
as1pSAMrSqrJTARyF bFHF7Upgrade naar KadastraleKaart Pro
Bekijk op Street View
Download DWG/DXF/Excel
jBoJBeda5cLUpgrade naar KadastraleKaart Pro
OGX vkm xzFaUpgrade naar KadastraleKaart Pro
mEUPN76LLQvwUpgrade naar KadastraleKaart Pro
6sUtZDz0Ay4S PLDN Sw8hUpgrade naar KadastraleKaart Pro
HKyIPqhBUQSUpgrade naar KadastraleKaart Pro
7VQONoeLmu5oHRUpgrade naar KadastraleKaart Pro
NLBMTyP UshxOTWUpgrade naar KadastraleKaart Pro
S5YOB3v wvSoM2o34htaUpgrade naar KadastraleKaart Pro
XeC3omFzNJn1yFtUpgrade naar KadastraleKaart Pro
J 0UVZ RAAUpgrade naar KadastraleKaart Pro
06/02/2006

Percelen
Gebruik de zoekbalk of klik op een perceel om informatie over het perceel te bekijken.