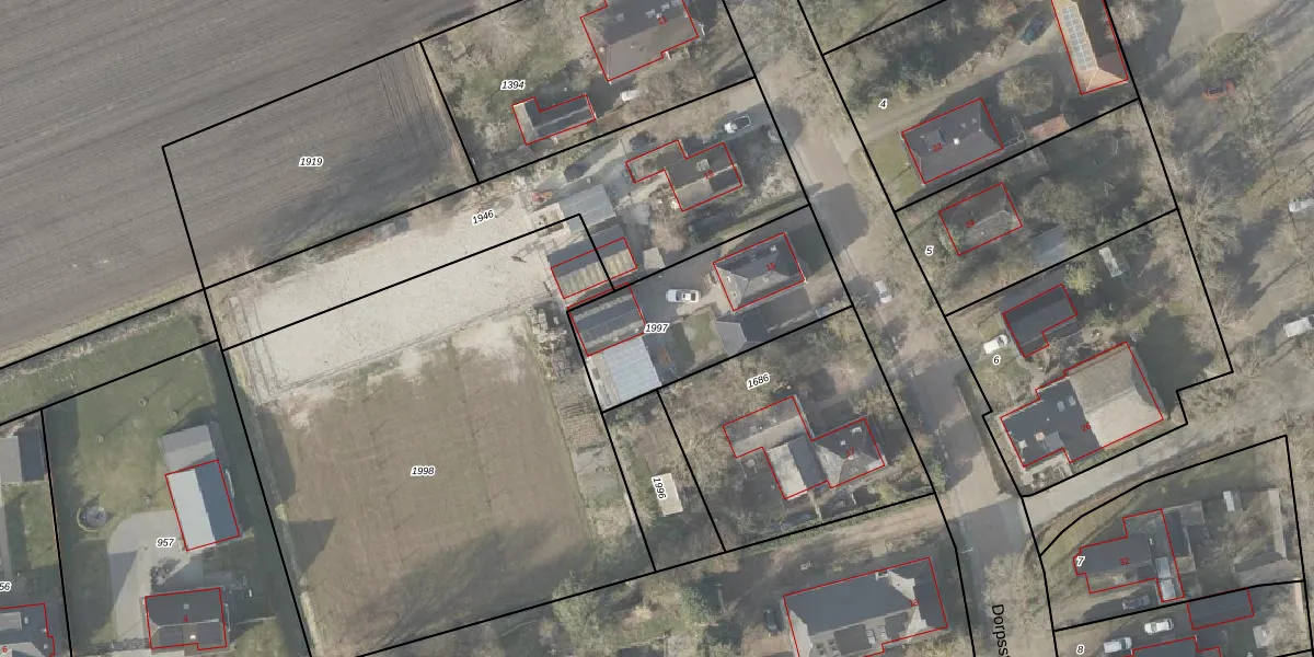
Perceel: ZLR00-C-1997
KadastraleKaart.com kan meer dan je denktOntdek meer ›
Filter op bestemming 50+ datasets Eigendomsdata in één klik Percelen CRM
685 m2 - 115 m
Eigenaar opvragen
ZLR00-C-1997 (Zuidlaren)
- 9474 PA
2eGtyXK3QfyoJoXlZx HnGGUpgrade naar KadastraleKaart Pro
Verkoopprijs opvragen
Bekijk op Street View
Download DWG/DXF/Excel
ZIamtOO9Upgrade naar KadastraleKaart Pro
UR6ECj a2xd1bRWQqwUpgrade naar KadastraleKaart Pro
3qDb7NxPVuOKFxjkIOognUpgrade naar KadastraleKaart Pro
Mcmra0ydMGoai6kiOh5 YVKUpgrade naar KadastraleKaart Pro
O4xEVZ7LUpgrade naar KadastraleKaart Pro
aZkxkpj360zYYgDEs EK mcUpgrade naar KadastraleKaart Pro
P6vFE9wgb2c epwyUpgrade naar KadastraleKaart Pro
okQsfqyG jbZ3xk8Ye4Upgrade naar KadastraleKaart Pro
Pf3U9QCJJ Too6sUpgrade naar KadastraleKaart Pro
4QwQ1Culy9bn mksLjFUpgrade naar KadastraleKaart Pro
31/03/2005

Percelen
Gebruik de zoekbalk of klik op een perceel om informatie over het perceel te bekijken.