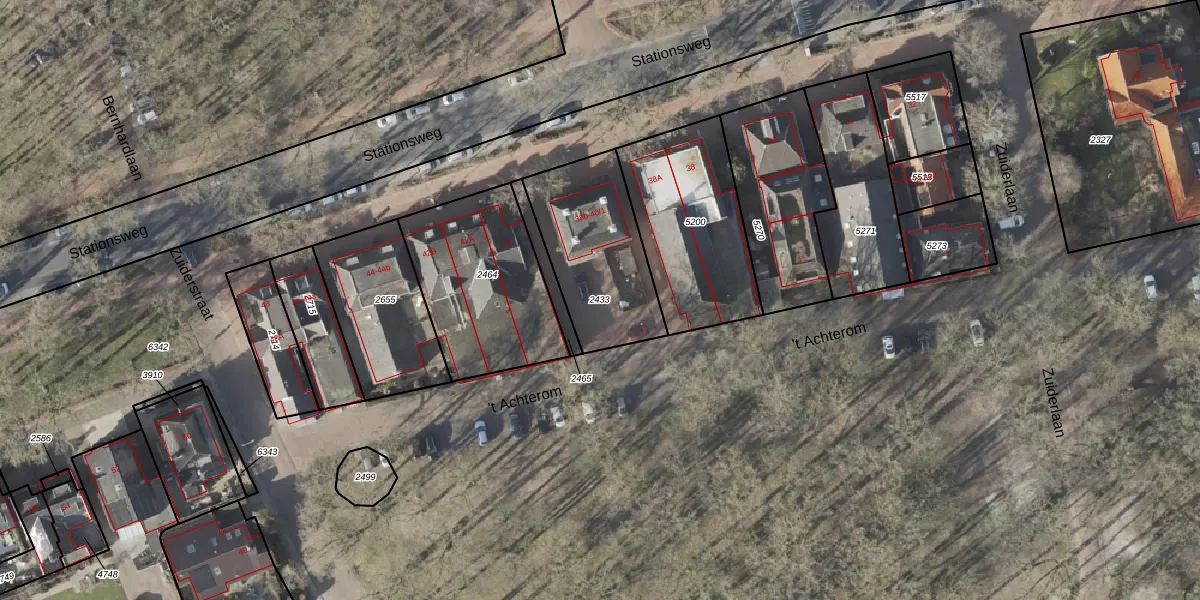
Perceel: ZLR00-G-2433
KadastraleKaart.com kan meer dan je denktOntdek meer ›
Filter op bestemming 50+ datasets Eigendomsdata in één klik Percelen CRM
482 m2 - 94 m
Eigenaar opvragen
ZLR00-G-2433 (Zuidlaren)
- 9471 GS
a 6 a4XR1 qe V4AUpgrade naar KadastraleKaart Pro
Bekijk op Street View
Download DWG/DXF/Excel
RNJc5vHoVlx3CVDUpgrade naar KadastraleKaart Pro
7bndMuiyUz fNeh9le 8fTUpgrade naar KadastraleKaart Pro
8nh8XLXdEaJV GJm Q4Upgrade naar KadastraleKaart Pro
cEKnXQtsrRSea9GR8 bUpgrade naar KadastraleKaart Pro
SZDH8jr42bx6nOhUpgrade naar KadastraleKaart Pro
ZVZ aImyk2Upgrade naar KadastraleKaart Pro
uJlCzuj BiA2Upgrade naar KadastraleKaart Pro
BR Qcm0N3o2XCLh0pYL Upgrade naar KadastraleKaart Pro
3Nzy9zjskQmsPhpVVUpgrade naar KadastraleKaart Pro
iLL5cXhSUpgrade naar KadastraleKaart Pro
28/01/2009

Percelen
Gebruik de zoekbalk of klik op een perceel om informatie over het perceel te bekijken.