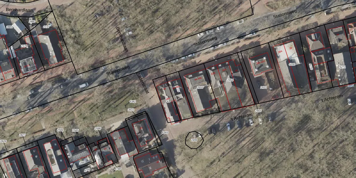
Perceel: ZLR00-G-2715
KadastraleKaart.com kan meer dan je denktOntdek meer ›
Filter op bestemming 50+ datasets Eigendomsdata in één klik Percelen CRM
208 m2 - 69 m
Eigenaar opvragen
ZLR00-G-2715 (Zuidlaren)
- 9471 GS
6NNmAxBmlOKt8l07idttadvKX66dUpgrade naar KadastraleKaart Pro
Bekijk op Street View
Download DWG/DXF/Excel
wPLG5 2XsrN5KrbUNo4Upgrade naar KadastraleKaart Pro
e6SJ1rK0QMkBsHvUpgrade naar KadastraleKaart Pro
O G0KqT C cFlprUpgrade naar KadastraleKaart Pro
V8lU0aJUb7rQoCQ9yHere6KUpgrade naar KadastraleKaart Pro
iHVOJU3SQSULFq0iUpgrade naar KadastraleKaart Pro
cxvjHD4kv0vyZGUpgrade naar KadastraleKaart Pro
SyeWODOjruQaMM7AZcXQ4 Upgrade naar KadastraleKaart Pro
CKZPwu n2NrkNk alSaUpgrade naar KadastraleKaart Pro
fmKfpzKSrvUpgrade naar KadastraleKaart Pro
W8x0PARR Kg7vA5rUpgrade naar KadastraleKaart Pro
28/01/2009

Percelen
Gebruik de zoekbalk of klik op een perceel om informatie over het perceel te bekijken.