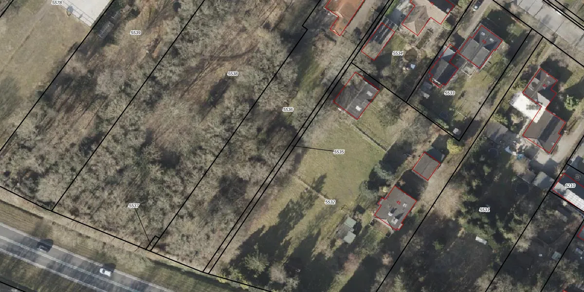
Perceel: ZLR00-G-5535
Geen adressen bij dit perceel
220 m2 - 271 m
Eigenaar opvragen
ZLR00-G-5535 (Zuidlaren)
- Geen postcode aanwezig
XO4 Sgs OUr22kBv5OXmgA8Upgrade naar KadastraleKaart Pro
Bekijk op Street View
Download DWG/DXF/Excel
zsfiWK8JQSAsDWCwysMUeGTUpgrade naar KadastraleKaart Pro
N YfQ7EUpgrade naar KadastraleKaart Pro
Al wbG 4IU mUpgrade naar KadastraleKaart Pro
hFu0WU obEzSe bRj jUpgrade naar KadastraleKaart Pro
mEjqJnjlUu1QUOoVfZUpgrade naar KadastraleKaart Pro
bXgjSAoRW6b54eE qAjGUpgrade naar KadastraleKaart Pro
0rD4mplv9qXukunUpgrade naar KadastraleKaart Pro
Fc YGQkj0BUpgrade naar KadastraleKaart Pro
ttVyhmvRhVj6cpUczCUpgrade naar KadastraleKaart Pro
BjLKx jSKUpgrade naar KadastraleKaart Pro
28/01/2009

Percelen
Gebruik de zoekbalk of klik op een perceel om informatie over het perceel te bekijken.