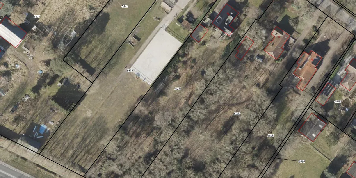
Perceel: ZLR00-G-5539
3.833 m2 - 355 m
Eigenaar opvragen
ZLR00-G-5539 (Zuidlaren)
- 9471 VB
aVMsxgqwZmLjj7VnZ2vVX wFaUpgrade naar KadastraleKaart Pro
Verkoopprijs opvragen
Bekijk op Street View
Download DWG/DXF/Excel
tn9oAheEbvM2LrV HCl2Upgrade naar KadastraleKaart Pro
tE bVf o VVpUpgrade naar KadastraleKaart Pro
M5PkOZ YT g61LEukZUpgrade naar KadastraleKaart Pro
1rMhZzHxSspSXLd8 ZhRjUpgrade naar KadastraleKaart Pro
luiuO2DoUpgrade naar KadastraleKaart Pro
QMKP8LKUG6c3pWhmhUpgrade naar KadastraleKaart Pro
waN hr LsNhDM 3SUQYFUpgrade naar KadastraleKaart Pro
l8q4HBOa9yOGDcwUpgrade naar KadastraleKaart Pro
E6y4Zjzs84WEjUpgrade naar KadastraleKaart Pro
jpOoqBzhS 1azLq2Tad EmUpgrade naar KadastraleKaart Pro
21/10/2008

Percelen
Gebruik de zoekbalk of klik op een perceel om informatie over het perceel te bekijken.