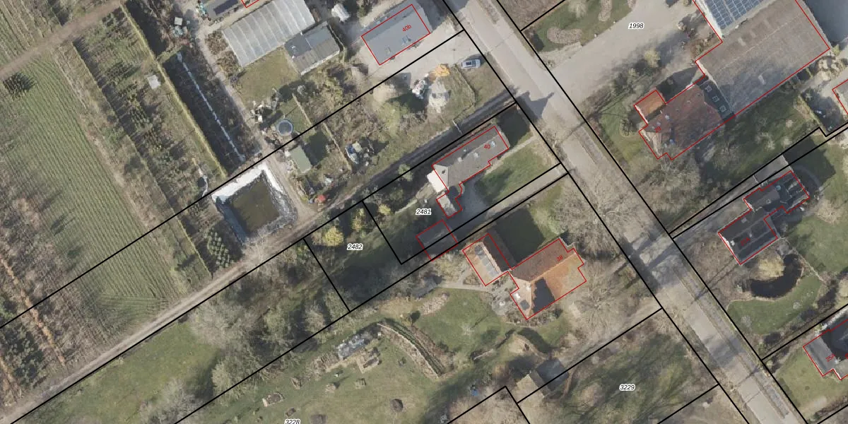
Perceel: ZLR00-H-2481
KadastraleKaart.com kan meer dan je denktOntdek meer ›
Filter op bestemming 50+ datasets Eigendomsdata in één klik Percelen CRM
777 m2 - 123 m
Eigenaar opvragen
ZLR00-H-2481 (Zuidlaren)
- 9471 PC
p7TOf4YGn9eFxamPGUpgrade naar KadastraleKaart Pro
Bekijk op Street View
Download DWG/DXF/Excel
7PguVAxr Upgrade naar KadastraleKaart Pro
HdFFAydr2WkAN1UAo m 8UUpgrade naar KadastraleKaart Pro
N9IOeQuL7 H 8Kjz1Upgrade naar KadastraleKaart Pro
1HHDApMv8Upgrade naar KadastraleKaart Pro
ZLtOQL o6Ok8kEUpgrade naar KadastraleKaart Pro
8YBFfY5hbUpgrade naar KadastraleKaart Pro
jHxHxXqWLGUpgrade naar KadastraleKaart Pro
MtSLuOwvZsD2gSVTqUpgrade naar KadastraleKaart Pro
9K8kZzV02 3k4Upgrade naar KadastraleKaart Pro
oYxXrScNsmllUpgrade naar KadastraleKaart Pro
06/09/2012

Percelen
Gebruik de zoekbalk of klik op een perceel om informatie over het perceel te bekijken.