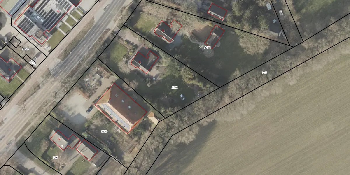
Perceel: ZLR00-K-1140
1.695 m2 - 177 m
Eigenaar opvragen
ZLR00-K-1140 (Zuidlaren)
- 9473 TA
1lITaQFapcfrzRJyxf2 aj gKvE zWUpgrade naar KadastraleKaart Pro
Bekijk op Street View
Download DWG/DXF/Excel
4DsK45Z9 Z8jUpgrade naar KadastraleKaart Pro
rNWmQWHrEnkht46twJBAEyhUpgrade naar KadastraleKaart Pro
9F BYqNYXsJFgOoX1LFGLnYUpgrade naar KadastraleKaart Pro
555Pm r Upgrade naar KadastraleKaart Pro
zVhu9mQyhErUpgrade naar KadastraleKaart Pro
5I55Qc3p42RLikLKUpgrade naar KadastraleKaart Pro
r80vw2NSLjJqgGT8yX TnUpgrade naar KadastraleKaart Pro
GDjaLKjVmA U JUpgrade naar KadastraleKaart Pro
D3zuj28c 0rtUJnWF2A5JRUpgrade naar KadastraleKaart Pro
RSQb7P9bBCZUpgrade naar KadastraleKaart Pro
20/08/2003

Percelen
Gebruik de zoekbalk of klik op een perceel om informatie over het perceel te bekijken.