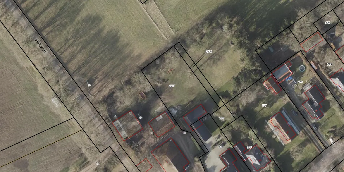
Perceel: ZLR00-K-1627
Geen adressen bij dit perceel
1.116 m2 - 173 m
Eigenaar opvragen
ZLR00-K-1627 (Zuidlaren)
- Geen postcode aanwezig
ilEhsZm9 v30hHokAX3 x5P jc1Upgrade naar KadastraleKaart Pro
Bekijk op Street View
Download DWG/DXF/Excel
LDwK2rN 5HTUc2Upgrade naar KadastraleKaart Pro
GL1C RA5JjUpgrade naar KadastraleKaart Pro
fX3fvz4bi7 UoUpgrade naar KadastraleKaart Pro
Qn 8AzDduv 9rapJv1yZmskUpgrade naar KadastraleKaart Pro
QoN1Ifowa4kajcDhUpgrade naar KadastraleKaart Pro
8cOKCJ0 VqdtPUpgrade naar KadastraleKaart Pro
5ANykLya yfmD Upgrade naar KadastraleKaart Pro
eKxls9rheR21HKBUdcwwg7Upgrade naar KadastraleKaart Pro
MWrLCxBAU 0zUpgrade naar KadastraleKaart Pro
c9dcfrPQiUpgrade naar KadastraleKaart Pro
20/03/2008

Percelen
Gebruik de zoekbalk of klik op een perceel om informatie over het perceel te bekijken.