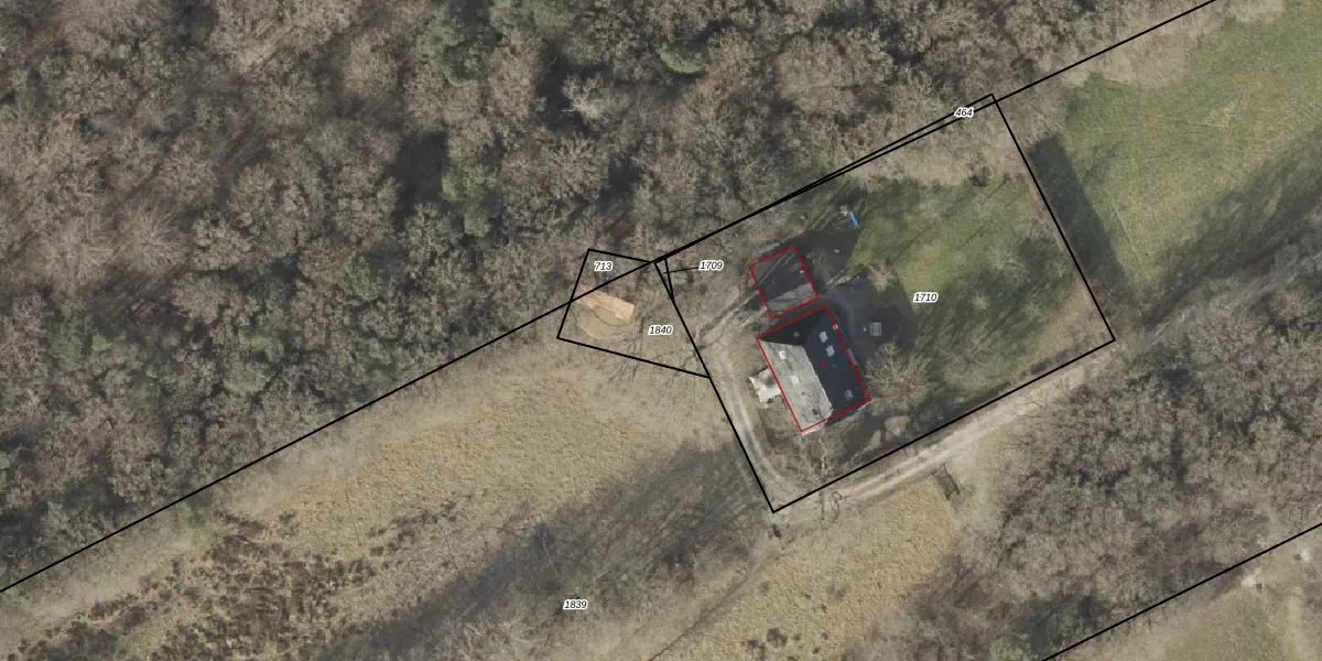
Perceel: ZLR00-K-1840
Geen adressen bij dit perceel
210 m2 - 88 m
Eigenaar opvragen
ZLR00-K-1840 (Zuidlaren)
- Geen postcode aanwezig
Y6s8RhUKA2WgoLNtnNGp8CvvKUpgrade naar KadastraleKaart Pro
Bekijk op Street View
Download DWG/DXF/Excel
X c6pY0S r zP2DSwzWUpgrade naar KadastraleKaart Pro
J Jl8rH8 71tvUUpgrade naar KadastraleKaart Pro
O4WA TaA 5KcS5zqUpgrade naar KadastraleKaart Pro
DKX Zr4Bb Upgrade naar KadastraleKaart Pro
XE ZJCtuveMlkHfaF hoUpgrade naar KadastraleKaart Pro
nL eKF d texcYyw3KQ54SiUpgrade naar KadastraleKaart Pro
f63 W Qa KUpgrade naar KadastraleKaart Pro
ny j8jEwQz1FiUpgrade naar KadastraleKaart Pro
NjIKfTO5 ggbkEfteUpgrade naar KadastraleKaart Pro
birByUEiP4ZMYuCn792sqtUpgrade naar KadastraleKaart Pro
09/07/2013

Percelen
Gebruik de zoekbalk of klik op een perceel om informatie over het perceel te bekijken.