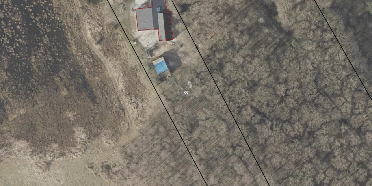
Perceel: ZLR00-K-21
KadastraleKaart.com kan meer dan je denktOntdek meer ›
Filter op bestemming 50+ datasets Eigendomsdata in één klik Percelen CRM
5.870 m2 - 453 m
Eigenaar opvragen
ZLR00-K-21 (Zuidlaren)
- 9475 PE
hkgPmkZ Zhj5VYi5Arh2wMynDoUpgrade naar KadastraleKaart Pro
Bekijk op Street View
Download DWG/DXF/Excel
k2Ehqvt 6Yb47EtG hAAnJUpgrade naar KadastraleKaart Pro
zV B7bHQ2IUpgrade naar KadastraleKaart Pro
r kkAkJasiVGeUpgrade naar KadastraleKaart Pro
VMvTXeftX0k159 tjM0jUpgrade naar KadastraleKaart Pro
Z 0U5wMeZtuUpgrade naar KadastraleKaart Pro
aq6d rz wvfW5boH6QD E9eUpgrade naar KadastraleKaart Pro
rKbepgQpm7IUpgrade naar KadastraleKaart Pro
hW3zFDEEZM8X1HxlI9RKpUpgrade naar KadastraleKaart Pro
E1KcYw8PUpgrade naar KadastraleKaart Pro
bojYncsQunMvmUpgrade naar KadastraleKaart Pro
21/08/2003

Percelen
Gebruik de zoekbalk of klik op een perceel om informatie over het perceel te bekijken.