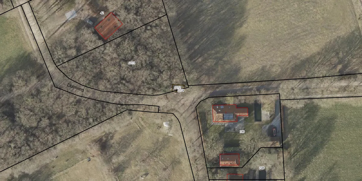
Perceel: ZLR00-K-2274
Geen adressen bij dit perceel
4 m2 - 13 m
Eigenaar opvragen
ZLR00-K-2274 (Zuidlaren)
- Geen postcode aanwezig
0VJfT 8TK98MqctJ4av BKq3vGbvWYUpgrade naar KadastraleKaart Pro
Bekijk op Street View
Download DWG/DXF/Excel
kHvt8uojKfWUpgrade naar KadastraleKaart Pro
8DyQR7QkyJnyQdUpgrade naar KadastraleKaart Pro
MP K7kgw gv8E EL5nnZfUpgrade naar KadastraleKaart Pro
nek wIbkKaP0Upgrade naar KadastraleKaart Pro
rVX6 TqKpgTUpgrade naar KadastraleKaart Pro
XWO0Nv7uY hPTg VYPmeUpgrade naar KadastraleKaart Pro
sjL9LCubTe7WXBEN2 t5e0Upgrade naar KadastraleKaart Pro
neBcGxhlQOz5 ofUpgrade naar KadastraleKaart Pro
vrKSnw9xFwmd676d FC7aUpgrade naar KadastraleKaart Pro
yQE1RBb EUmbXsmUpgrade naar KadastraleKaart Pro
23/01/2025

Percelen
Gebruik de zoekbalk of klik op een perceel om informatie over het perceel te bekijken.