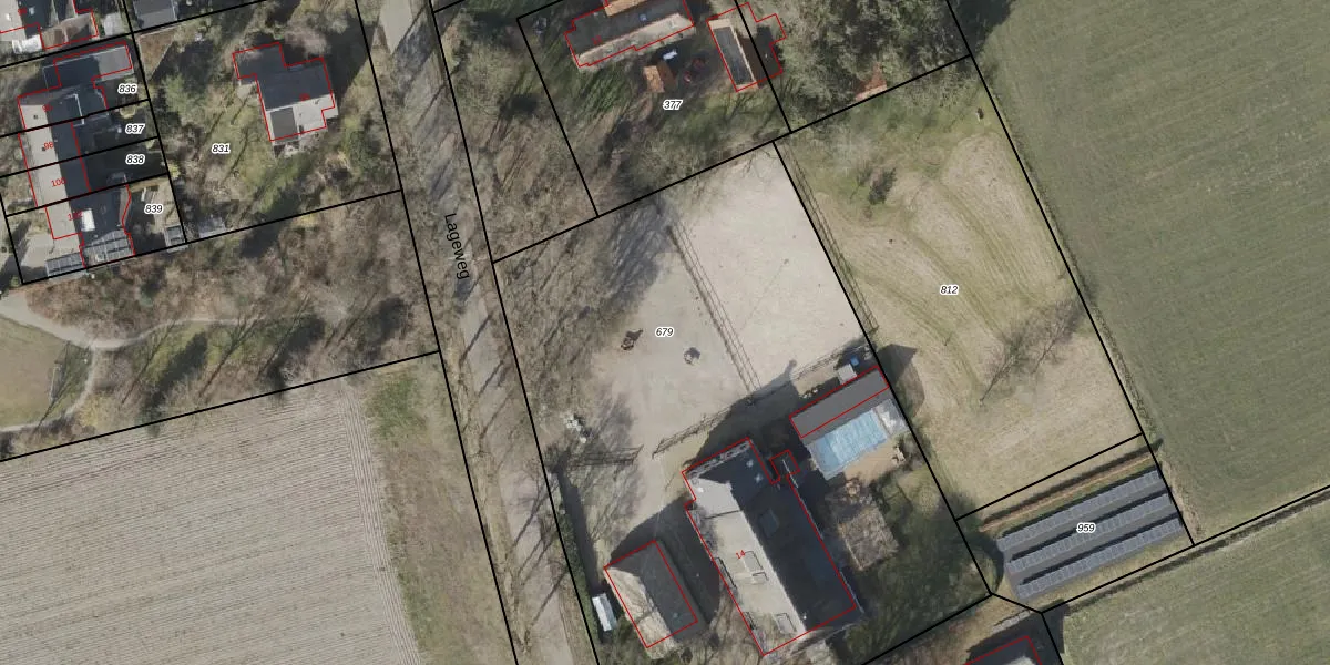
Perceel: ZLR00-L-679
KadastraleKaart.com kan meer dan je denktOntdek meer ›
Filter op bestemming 50+ datasets Eigendomsdata in één klik Percelen CRM
4.195 m2 - 263 m
Eigenaar opvragen
ZLR00-L-679 (Zuidlaren)
- 9472 TE
LU 0BQ 2hoW9C ep tUpgrade naar KadastraleKaart Pro
Verkoopprijs opvragen
Bekijk op Street View
Download DWG/DXF/Excel
7N T DHEeDUpgrade naar KadastraleKaart Pro
vV5O7Px3lhVLJETF8xfTQERUpgrade naar KadastraleKaart Pro
NEvSyLj Upgrade naar KadastraleKaart Pro
HXgAzQC8s1U kXYG Upgrade naar KadastraleKaart Pro
7Qo5HwFNbwUpgrade naar KadastraleKaart Pro
GNvxCLCBD JqIi9Yxka8F Upgrade naar KadastraleKaart Pro
Q fDl4Uv9c4DCpk4lxUpgrade naar KadastraleKaart Pro
zYTkYvqunDtAvuCbUpgrade naar KadastraleKaart Pro
l wy FHWeS4Upgrade naar KadastraleKaart Pro
qhJOc2qzwUpgrade naar KadastraleKaart Pro
23/04/2018

Percelen
Gebruik de zoekbalk of klik op een perceel om informatie over het perceel te bekijken.