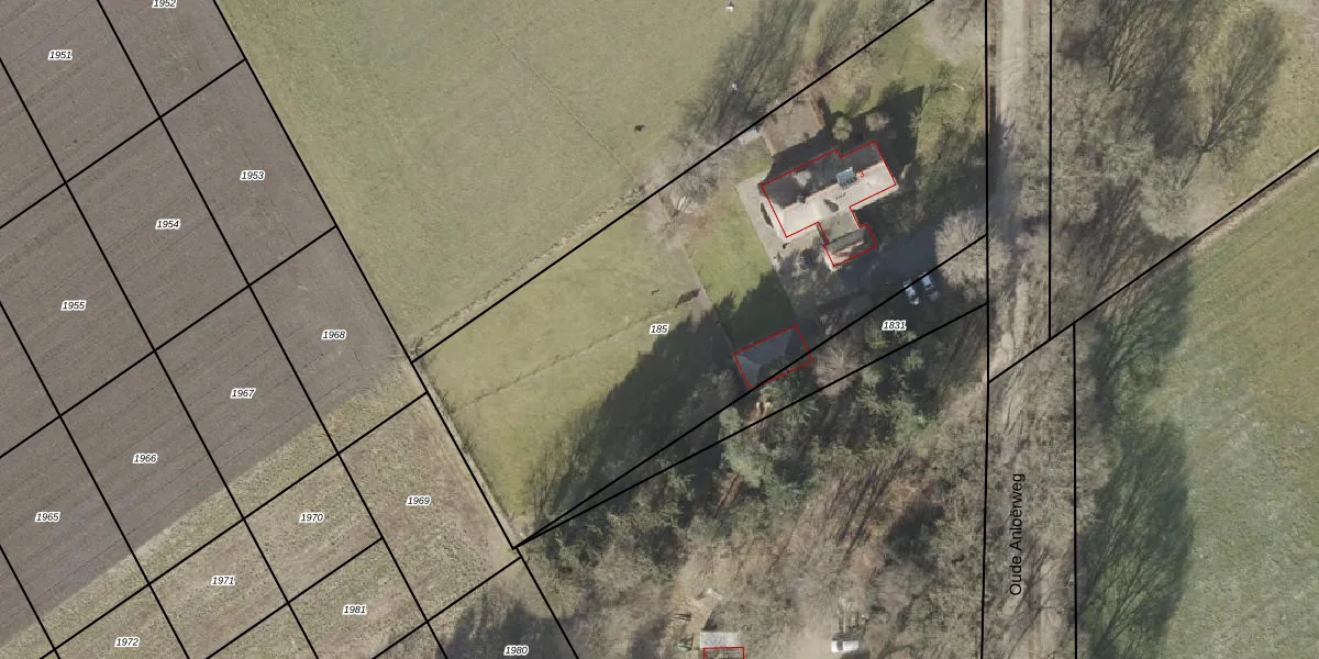
Perceel: ZLR00-M-185
KadastraleKaart.com kan meer dan je denktOntdek meer ›
Filter op bestemming 50+ datasets Eigendomsdata in één klik Percelen CRM
3.160 m2 - 266 m
Eigenaar opvragen
ZLR00-M-185 (Zuidlaren)
- 9472 TC
wUYj0 1jTefMbrl9bmrOryJrQkIK6Upgrade naar KadastraleKaart Pro
Verkoopprijs opvragen
Bekijk op Street View
Download DWG/DXF/Excel
sBwBvbPVGx9Upgrade naar KadastraleKaart Pro
hm2mdHdf7kaLNUpgrade naar KadastraleKaart Pro
QTVr AYdcz4OYNgnsSLmXUpgrade naar KadastraleKaart Pro
R6vU42UmSu5gtP mJ6zHZsUpgrade naar KadastraleKaart Pro
P bUfxsfbVv0xgTYe56ZUpgrade naar KadastraleKaart Pro
cgSOOnimZILdpJv Upgrade naar KadastraleKaart Pro
GpDrHrKO9XfQmP PUpgrade naar KadastraleKaart Pro
J7OIjbTltGxucA0Upgrade naar KadastraleKaart Pro
tCtvaphR3gUpgrade naar KadastraleKaart Pro
Fof p7CJ5SB HYLUpgrade naar KadastraleKaart Pro
19/03/2010

Percelen
Gebruik de zoekbalk of klik op een perceel om informatie over het perceel te bekijken.