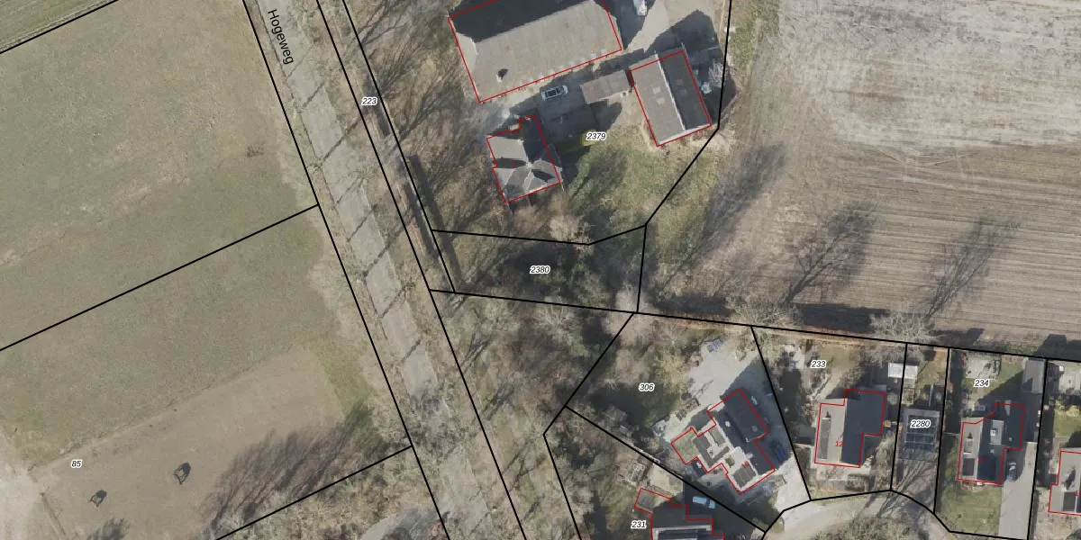
Perceel: ZLR00-M-2380
KadastraleKaart.com kan meer dan je denktOntdek meer ›
Filter op bestemming 50+ datasets Eigendomsdata in één klik Percelen CRM
Geen adressen bij dit perceel
440 m2 - 104 m
Eigenaar opvragen
ZLR00-M-2380 (Zuidlaren)
- Geen postcode aanwezig
LCDLA88vCnwRU0cnohUpgrade naar KadastraleKaart Pro
Bekijk op Street View
Download DWG/DXF/Excel
6VMOtEONP3OVPhWUpgrade naar KadastraleKaart Pro
LXnJ8AgtezlAizcPx5Upgrade naar KadastraleKaart Pro
s2LsXfrR7TaXIedhUpgrade naar KadastraleKaart Pro
h2QbzFDDZjVVoeW24Vyo08OUpgrade naar KadastraleKaart Pro
I agNqQZ8W g7UAvS6Upgrade naar KadastraleKaart Pro
DkM PtVx6b9JefN Upgrade naar KadastraleKaart Pro
KodXjSrTMUpgrade naar KadastraleKaart Pro
4PN cYCWRS Gb xVIvUpgrade naar KadastraleKaart Pro
6dGWNghgp13M2PqwZzIPUR Upgrade naar KadastraleKaart Pro
SaoDrEENvzZ qqpW x8Yg0Upgrade naar KadastraleKaart Pro
23/02/2026

Percelen
Gebruik de zoekbalk of klik op een perceel om informatie over het perceel te bekijken.