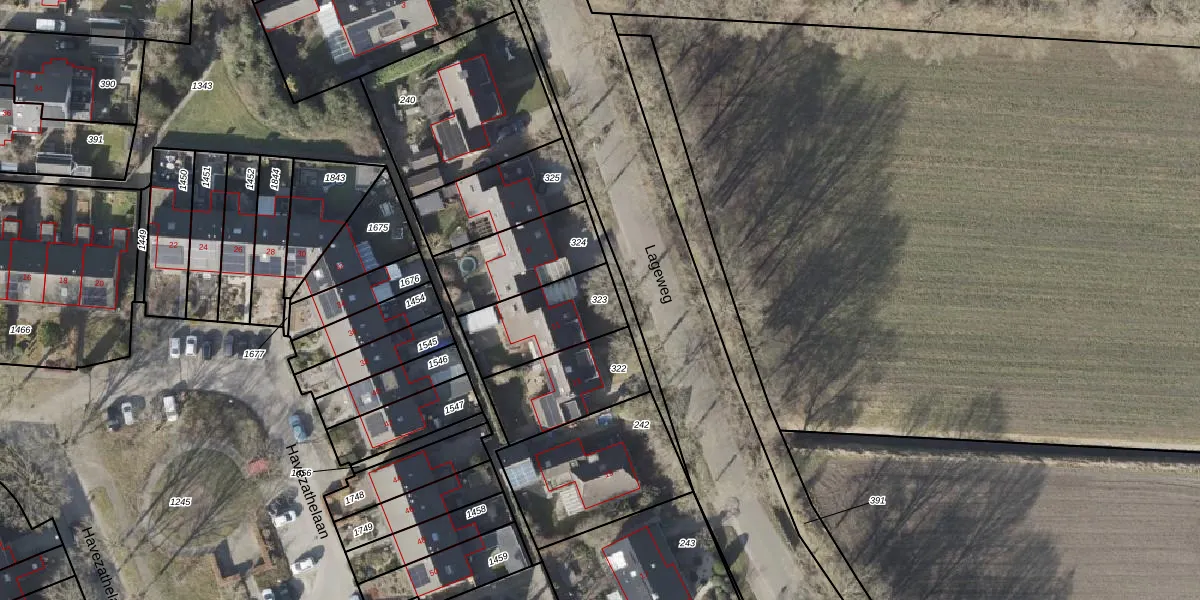
Perceel: ZLR00-M-323
KadastraleKaart.com kan meer dan je denktOntdek meer ›
Filter op bestemming 50+ datasets Eigendomsdata in één klik Percelen CRM
305 m2 - 75 m
Eigenaar opvragen
ZLR00-M-323 (Zuidlaren)
- 9472 TD
waE3Y F7Lz2DO g0m2J5zsAUpgrade naar KadastraleKaart Pro
Bekijk op Street View
Download DWG/DXF/Excel
JmDH12M Uq c5crD5aOMUpgrade naar KadastraleKaart Pro
jfvQhUnFXXvLmz Upgrade naar KadastraleKaart Pro
mrY IX QMUpgrade naar KadastraleKaart Pro
Pp zG7lgaw6hUpgrade naar KadastraleKaart Pro
7wnNeFjKbY7ozdgNsUpgrade naar KadastraleKaart Pro
TrZP mvHE fkNpzsTRNzM7AUpgrade naar KadastraleKaart Pro
gEvTEBFBQckmUpgrade naar KadastraleKaart Pro
Za THwHn nrcba fXaVZ ZUpgrade naar KadastraleKaart Pro
Gl yNwny5Ib HUpgrade naar KadastraleKaart Pro
f 9 hTuR06Upgrade naar KadastraleKaart Pro
19/08/2003

Percelen
Gebruik de zoekbalk of klik op een perceel om informatie over het perceel te bekijken.