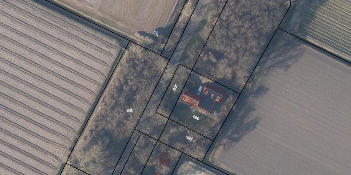
Perceel: ZPE00-D-3987
KadastraleKaart.com kan meer dan je denktOntdek meer ›
Filter op bestemming 50+ datasets Eigendomsdata in één klik Percelen CRM
Geen adressen bij dit perceel
241 m2 - 78 m
Eigenaar opvragen
ZPE00-D-3987 (Zijpe)
- Geen postcode aanwezig
8jfIbAmSLR1KNcxtwzPz GkT0S6eJUpgrade naar KadastraleKaart Pro
Bekijk op Street View
Download DWG/DXF/Excel
K0CQNLqNVByCDr yGEUpgrade naar KadastraleKaart Pro
ZvdL7Qj9E nz lgh5Upgrade naar KadastraleKaart Pro
NEeA7MX5 s Upgrade naar KadastraleKaart Pro
NSw Mpd3AipqaUpgrade naar KadastraleKaart Pro
1wvjZJTVASUpgrade naar KadastraleKaart Pro
4cfMNF aUpgrade naar KadastraleKaart Pro
e3 S4M4lAW5uaTUpgrade naar KadastraleKaart Pro
wYAaAQ1riy5HwlMSzpEJqTUpgrade naar KadastraleKaart Pro
9jlieTf2Upgrade naar KadastraleKaart Pro
ZiqoAmbt7QDRr Upgrade naar KadastraleKaart Pro
26/01/2001

Percelen
Gebruik de zoekbalk of klik op een perceel om informatie over het perceel te bekijken.