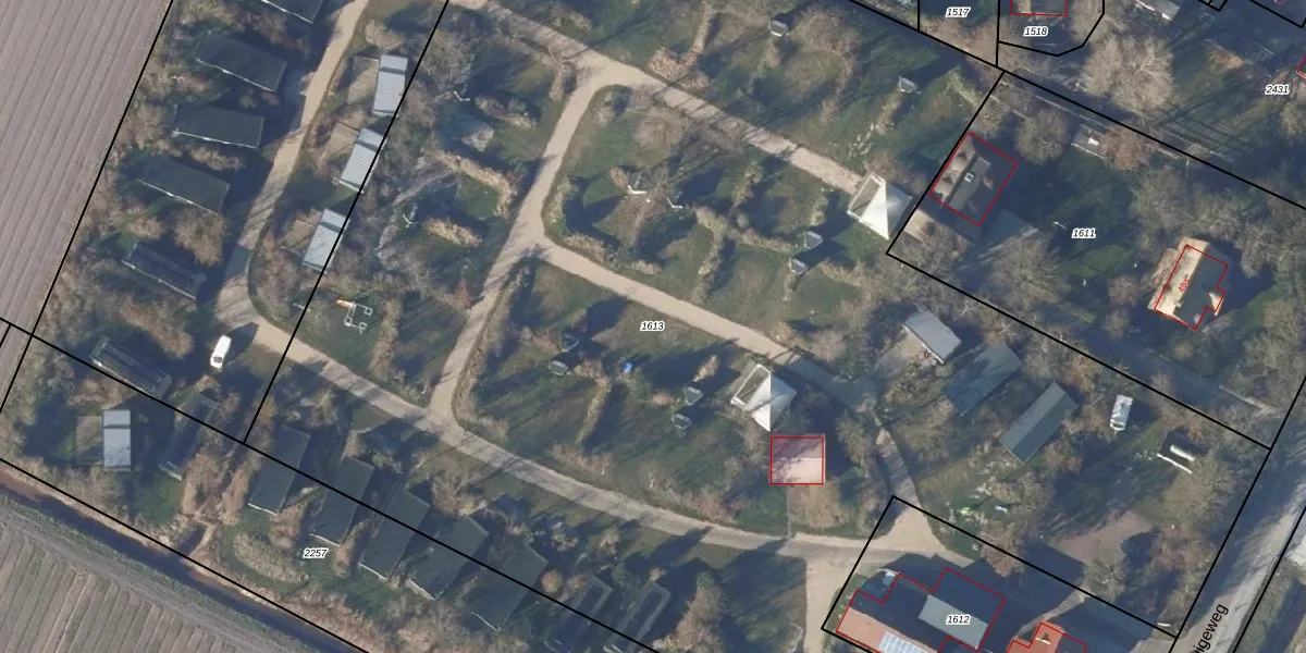
Perceel: ZPE00-F-1613
Geen adressen bij dit perceel
12.610 m2 - 634 m
Eigenaar opvragen
ZPE00-F-1613 (Zijpe)
- Geen postcode aanwezig
hPwQi usub9S2iw79C2LUpgrade naar KadastraleKaart Pro
Bekijk op Street View
Download DWG/DXF/Excel
l6 sHngRtYyC2It1Upgrade naar KadastraleKaart Pro
02iSXPZO b i6 L2bEQ9j Upgrade naar KadastraleKaart Pro
O7 3 Y56fu8z6azCr9PZUpgrade naar KadastraleKaart Pro
lwH6lCZrUpgrade naar KadastraleKaart Pro
6icWyXO0Ns5 C Z9On dCb9Upgrade naar KadastraleKaart Pro
0VrXyhZa 7 JtHj nCUpgrade naar KadastraleKaart Pro
LCo bJaV9sGAnYUpgrade naar KadastraleKaart Pro
5tKXKQs6J8cPFrQn72F fUpgrade naar KadastraleKaart Pro
4LljgNcPWb hC2Upgrade naar KadastraleKaart Pro
phMxTfyZYkUpgrade naar KadastraleKaart Pro
10/11/2006

Percelen
Gebruik de zoekbalk of klik op een perceel om informatie over het perceel te bekijken.