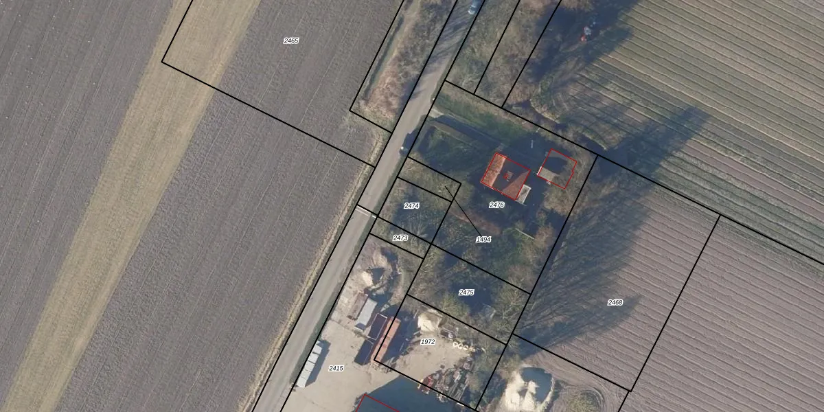
Perceel: ZPE00-F-2474
KadastraleKaart.com kan meer dan je denktOntdek meer ›
Filter op bestemming 50+ datasets Eigendomsdata in één klik Percelen CRM
Geen adressen bij dit perceel
162 m2 - 51 m
Eigenaar opvragen
ZPE00-F-2474 (Zijpe)
- Geen postcode aanwezig
qFFFnjJyHCqTw N8Upgrade naar KadastraleKaart Pro
Bekijk op Street View
Download DWG/DXF/Excel
rHAKk0jLQ vO jfVx9jwEUpgrade naar KadastraleKaart Pro
nIAZREFRRu8wCZlbzUpgrade naar KadastraleKaart Pro
3Fr OnkfzM3e55Upgrade naar KadastraleKaart Pro
wvZhWFfhsUpgrade naar KadastraleKaart Pro
PILRKUvUwg Upgrade naar KadastraleKaart Pro
7BOB B8b5Upgrade naar KadastraleKaart Pro
flZ3 caCIn0LIN3iHo1fUlUpgrade naar KadastraleKaart Pro
CvMbA cKLBCS2NPZ Upgrade naar KadastraleKaart Pro
p99VLci1tg05vU7T0Upgrade naar KadastraleKaart Pro
p 43L 2XUG646 S7IUpgrade naar KadastraleKaart Pro
06/01/2026

Percelen
Gebruik de zoekbalk of klik op een perceel om informatie over het perceel te bekijken.