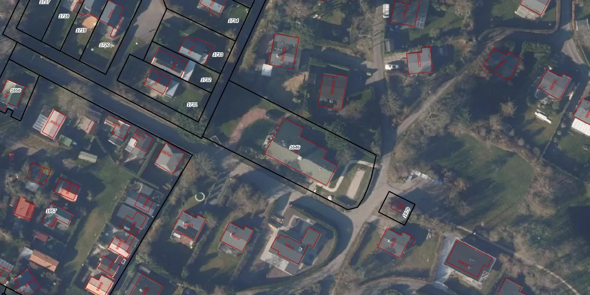
Perceel: ZPE00-G-1646
1.230 m2 - 155 m
Eigenaar opvragen
ZPE00-G-1646 (Zijpe)
- 1753 GD
9te0 3tsZ2hCplczZLPBAIgDdJUpgrade naar KadastraleKaart Pro
Verkoopprijs opvragen
Bekijk op Street View
Download DWG/DXF/Excel
S f8Zy KI6V1T8Upgrade naar KadastraleKaart Pro
S9i4 jd g40u E MBLNmJdPUpgrade naar KadastraleKaart Pro
3epX2Jp 5dPoTeUpgrade naar KadastraleKaart Pro
WrtW QoNUpgrade naar KadastraleKaart Pro
JEdcKt9vsbfD GwUpgrade naar KadastraleKaart Pro
RqCPX0aazyYuYF0Upgrade naar KadastraleKaart Pro
dBPJPUtN1fUpgrade naar KadastraleKaart Pro
P 0cteYr0IKUpgrade naar KadastraleKaart Pro
JZTSbRBNElUpgrade naar KadastraleKaart Pro
4Z34PgKM0dIAPeKTUXTUpgrade naar KadastraleKaart Pro
18/01/2001

Percelen
Gebruik de zoekbalk of klik op een perceel om informatie over het perceel te bekijken.