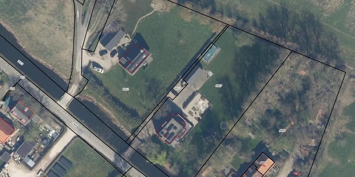
Perceel: ZTM00-C-6913
Geen adressen bij dit perceel
180 m2 - 186 m
Eigenaar opvragen
ZTM00-C-6913 (Zoetermeer)
- Geen postcode aanwezig
rvDjgzy2dBr1Fx25p8G6qmwUpgrade naar KadastraleKaart Pro
Bekijk op Street View
Download DWG/DXF/Excel
lEHpbRd dK59adft V26VUpgrade naar KadastraleKaart Pro
3B9osDcnG1Y70MCGDUpgrade naar KadastraleKaart Pro
wBV8lCu3ASuL EOjZGtrK Upgrade naar KadastraleKaart Pro
IjYxKU OmIlzUpgrade naar KadastraleKaart Pro
1w8vGF bMUpgrade naar KadastraleKaart Pro
xVg 0VDXLFESKdVB2UUpgrade naar KadastraleKaart Pro
3eueSExAUa9xqc Z8DUpgrade naar KadastraleKaart Pro
Iqn MH04U4Upgrade naar KadastraleKaart Pro
LUc7RFSaRasZvUpgrade naar KadastraleKaart Pro
zf1uOWXm5j2iEUpgrade naar KadastraleKaart Pro
04/12/2018

Percelen
Gebruik de zoekbalk of klik op een perceel om informatie over het perceel te bekijken.